Добавить в корзинуПозвонить
Найти в Дзене

Проектная документация для разработки и рекультивации месторождения или участка недр

Автор: Тимергазин Дмитрий Вадимович, Генеральный директор ООО «ДОРГЕОПРОЕКТ» https://www.dorgeoproekt.ru/ Тел. +7 (499) 393-38-36 e-mail: info@dorgeoproekt.ru 1) Технический проект разработки месторождения 2) Проект горного отвода в уточненных границах 3) Проект производства маркшейдерских работ 4) План развития горных работ 5) Проект рекультивации нарушенных земель Разберем более подробно каждый из них. Технический проект подготавливается на основании постановления Правительства РФ от 30 ноября 2021 г. N 2127 "О порядке подготовки, согласования и утверждения технических проектов разработки месторождений полезных ископаемых, технических проектов строительства и эксплуатации подземных сооружений, технических проектов ликвидации и консервации горных выработок, буровых скважин и иных сооружений, связанных с пользованием недрами, по видам полезных ископаемых и видам пользования недрами". Технический проект состоит из текстовой и графической части. Структура и оформление технического проек
Оглавление
Автор: Тимергазин Дмитрий Вадимович,
Генеральный директор ООО «ДОРГЕОПРОЕКТ»
https://www.dorgeoproekt.ru/
Тел. +7 (499) 393-38-36
e-mail: info@dorgeoproekt.ru

Проектная документация, необходимая для разработки и рекультивации месторождения, состоит из следующих основных видов:

1) Технический проект разработки месторождения

2) Проект горного отвода в уточненных границах

3) Проект производства маркшейдерских работ

4) План развития горных работ

5) Проект рекультивации нарушенных земель

Разберем более подробно каждый из них.

1. Технический проект разработки месторождения

Технический проект подготавливается на основании постановления Правительства РФ от 30 ноября 2021 г. N 2127 "О порядке подготовки, согласования и утверждения технических проектов разработки месторождений полезных ископаемых, технических проектов строительства и эксплуатации подземных сооружений, технических проектов ликвидации и консервации горных выработок, буровых скважин и иных сооружений, связанных с пользованием недрами, по видам полезных ископаемых и видам пользования недрами".

Технический проект состоит из текстовой и графической части. Структура и оформление технического проекта выполняется на основании приказа Минприроды РФ от 25.06.2010 № 218 «Об утверждении требований к структуре и оформлению проектной документации на разработку месторождений твердых полезных ископаемых, ликвидацию и консервацию горных выработок и первичную переработку минерального сырья»

Если состав текстовой части четко прописан в приказе Минприроды РФ от 25.06.2010 № 218, то графическая часть определяется в зависимости от сложности проекта и каждым проектировщиком индивидуально. Но рекомендуемый перечень чертежей, для качественного выполнения проекта должен быть следующим:

1) Топографический план (план земной поверхности территории предприятия) на начало проектирования в М 1:1000, 1:2000 или 1:5000 (Основание: таблица 2 ГОСТ 2.850-75)

2) План подсчета запасов месторождения в М 1:500, 1:1000, 1:2000 или 1:5000 (Основание: таблица 3 ГОСТ 2.850-75)

3) Гипсометрические планы и планы изомощностей по горизонтам ведения горных работ (при необходимости).

4) Генеральный план карьера с отображением всех проектируемых сооружений, технической границы проектируемого карьера, транспортных путей, границ санитарно-защитной зон, горного и земельного отвода (ГОСТ 21.508-2020)

5) Календарный план вскрышных работ, разделенный при количестве двух и более уступов на планы по горизонтам горных работ в М 1:500, 1:1000, 1:2000 (Основание: раздел I, 3Б п.3.6 приказа Минприроды РФ от 25.06.2010 № 218; таблица 4 ГОСТ 2.850-75)

6) Календарный план отвальных работ в М 1:500, 1:1000, 1:2000 (Основание: раздел I, 3Б п.5.5 приказа Минприроды РФ от 25.06.2010 № 218; таблица 4 ГОСТ 2.850-75)

7) План карьера на момент завершения горно-подготовительных работ и пуска в промышленную эксплуатацию (Основание: раздел I, 3Б п.2.2, п.10.6 приказа Минприроды РФ от 25.06.2010 № 218; таблица 4 ГОСТ 2.850-75)

8) Календарный план добычных работ, разделенный при количестве двух и более уступов на планы по горизонтам горных работ в М 1:500, 1:1000, 1:2000 (Основание: раздел I, 3Б п.3.6 приказа Минприроды РФ от 25.06.2010 № 218; таблица 4 ГОСТ 2.850-75)

9) Геолого-литологические разрезы, приуроченные к разведочным линиям с календарным распределением горных работ в М 1:500, 1:1000, 1:2000 (Основание: раздел I, 3Б п.3.6 приказа Минприроды РФ от 25.06.2010 № 218; таблица 4 ГОСТ 2.850-75)

10) План карьера на конец разработки месторождения и завершения горных работ в М 1:500, 1:1000, 1:2000 или 1:5000 (Основание: Статья 7 Закона РФ «О Недрах»; таблица 4 ГОСТ 2.850-75)

11) Геолого-литологические разрезы на конец разработки месторождения и завершения горных работ в М 1:500, 1:1000, 1:2000 или 1:5000 (Основание: Статья 7 Закона РФ «О Недрах»; таблица 4 ГОСТ 2.850-75)

12) Паспорт забоя экскаватора при вскрытии и подготовке горизонтов- проходке капитальной и разрезной траншеи (Основание: раздел I, 3Б п.2.2 и п.10.2 приказа Минприроды РФ от 25.06.2010 № 218; таблица 5 ГОСТ 2.850-75)

13) Паспорта и технологические схемы работы оборудования на основных горных работах (Основание: раздел I, 3Б п.3.3 приказа Минприроды РФ от 25.06.2010 № 218; таблица 5 ГОСТ 2.850-75; п.972 «Правил безопасности при ведении горных работ и переработке твердых полезных ископаемых…», утвержденных приказом Ростехнадзора от 8 декабря 2020 года N 505)

Подготовленный технический проект подается через личный кабинет недропользователя на согласование в орган, выдавший лицензию (региональное Министерство природных ресурсов), где по результатам рассмотрения выносится решение о его согласовании либо доработке (отказе).

Технический проект разработки месторождения полезных ископаемых имеет очень большое значение для деятельности предприятия. Проект — это не просто «бумага», как считают некоторые недропользователи, а документ, по которому будет разрабатываться месторождение на протяжении всего периода эксплуатации. И важность оптимально выбранных проектных решений будет влиять не только на экономику предприятия и себестоимость добычи, но и даже на налоговую политику предприятия и другие затраты карьера. К сожалению, нередки случаи, когда в ходе разработки карьера становятся видны ошибки проектирования или отступления от проекта, что приводит к корректировке документации. К сожалению, не всегда она спасает от экономических потерь предприятия, так как всегда сложнее что-то починить чем сделать хорошо сначала.

При проектировании очень важно видеть цельную картину будущего предприятия, поэтому крайне важно начинать с разработки генерального плана, учитывающего конечное положение карьера и разнос его бортов, схему вскрытия, расположение отвалов и инфраструктуры, охранные и санитарно-защитные зоны.

О том как минимизировать свои риски при проектировании карьера, поговорим ниже.

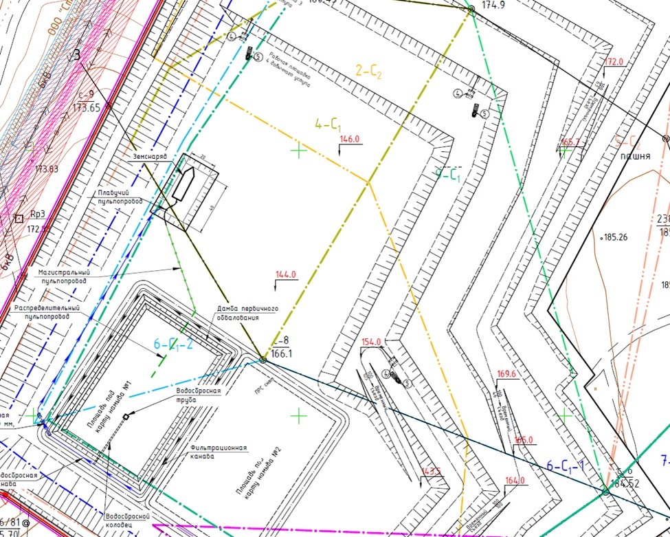
Фрагмент плана вскрытия карьера
Фрагмент плана вскрытия карьера

На что особо стоит обратить внимание при проектировании карьера?

1) Выбор рациональной схемы вскрытия.

Как правило, вскрытие осуществляется с участка, имеющего максимальную близость к объектам транспортной инфраструктуры, наименьшую мощность вскрыши и лучшую качественную характеристику сырья. От выбора схемы вскрытия карьера зависят капитальные вложения в начальный период и соответственно окупаемость проекта. Нередки случаи, когда проектные компании бездумно подходят к схеме вскрытия карьера и закладывают решения, когда капитальная траншея находится на значительном удалении от транспортных коммуникаций, либо когда наоборот вскрытие карьера осуществляется с участка, примыкающего к транспортным коммуникациям, но не учитывает мощность вскрышных пород и качественную характеристику полезного ископаемого. В результате в начальный период работы карьера возрастают капитальные затраты и увеличивается срок окупаемости, инвестор несет прямые убытки и винит в этом месторождение или свою команду.

Один из реальных примеров: Проект разработки месторождения песчано-гравийных пород был разработан одной известной в профессиональных кругах компанией. Вскрытие карьера было предусмотрено с противоположного конца от подъездной автодороги, в результате чего Заказчику пришлось инвестировать в строительство практически 1 км автодороги. На первоочередном участке разработки мощность вскрыши была значительно больше, но проектировщик сумел убедить Инвестора в том, что качественная характеристика сырья значительно лучше (выше содержание гравия). В результате при разработке выяснилось, что по содержанию гравия участок был ничуть не лучше того, что был ближе к трассе автодороги, а причина почему проектировщик заложил такую схему вскрытия оказалось в том, что подрядчик ведущий разработку карьера договорился с проектной компанией и в целях увеличения своих объемов работ они придумали такое решение. Вскрылась данная ситуация очень просто, инвестор, видя увеличение расходов, пригласил стороннего консультанта- горного инженера и тот изучив документацию сразу указал ему на такое необъективное решение.

2) Соблюдение охранных и санитарно-защитных зон.

Обязательная проверка перед началом проектирования охранных и санитарных зон с учетом прилегающих объектов.

Нередки случаи, когда Министерства и департаменты выдают лицензии и не учитывают всех охранных зон прилегающих объектов. А вскрывается все это на этапе согласования технического проекта. Таких случаев все меньше, но в той же Московской области, например нередки ситуации, когда выдают лицензию на геологическое изучение, проходит геологическое изучение участка и утверждают запасы, а на стадии технического проекта выясняется, что карьер попадает в охранную зону 2 или 3 пояса какой-нибудь местной водозаборной скважины. И проект не согласовывают по данной причине. Причем аргумент что лицензия была выдана и запасы поставлены на баланс не проходит.

3) Расположение отвалов и объектов инфраструктуры.

Часто встречающиеся случаи, когда проектировщик располагает отвалы и объекты внешней инфраструктуры, на землях которых нет в собственности или аренде предприятия. Особенно это актуально для начального периода разработки. И хотя в техническом проекте нет обязательных требований по предоставлению правоустанавливающих документов на земельные участки, нужно либо знать, что данный участок недропользователь сможет оформить в дальнейшем либо запрашивать документы на имеющиеся участки и приводить проектные решения к этому.

При проектировании гидромеханизированных карьеров стоит обращать особое внимание на расположение карт намыва с учетом трассировки пульпопроводов и водосбросных сооружений.

4) Нерациональное календарное планирование горных работ

Часто происходит в случаях, когда проектировщик разрабатывает календарные планы без учета стратегии развития предприятия, качественной характеристики сырья, имеющихся документов на земельные участки необходимых для работы в начальный период, ошибках в расчетах извлекаемой горной массы что приводит к искажению площадей и объемов при фактической разработке. Все эти факторы ведут к неправильной работе карьера, штрафам и корректировке проектных решений в дальнейшем.

5) Неправильный выбор параметров и элементов системы разработки

Например, на одном из карьеров, проектировщиком была заложена отработка месторождения экскаватором типа «обратная лопата» нижним черпанием шестью уступами высотой по 5 м каждый. Поскольку по проекту каждый уступ имел свой транспортный горизонт, это было не рационально, поэтому по факту разработка карьера велась экскаватором верхним черпанием высотой уступа 10м каждый. Что привело в итоге к нарушению системы разработки и корректировке проекта.

6) Нерациональный выбор техники

Горнотранспортное оборудование выбрано без учета параметров разработки. Например, в проекте принимается одноковшовый экскаватор с максимальной высотой черпания 7м, а высота принятого уступа составляет 10м. Выбор объема кузова автосамосвала не учитывает объем ковша экскаватора. Либо когда принимают земснаряд, мощность грунтового насоса которого не позволяет транспортировать пульпу на заданное расстояние и высоту.

Все это выясняется при эксплуатации карьера и требует корректировки решений и замены техники. Избежать этого можно путем грамотного расчета и согласования решений непосредственно с тем, кто будет вести разработку карьера, с учетом имеющейся техники.

7) Ошибки в координатах границ лицензии и горного отвода

Перед проектированием всегда стоит проверить координаты границ лицензии и горного отвода. Так нередки случаи, когда в Министерствах и департаментах выдают лицензию уже с ошибкой, что приводит к дальнейшему искажению всего проекта и уточненных границ горного отвода. А поскольку недропользователь обычно арендует или выкупает земельные участки под границы горного отвода, то это тянет за собой еще и земельные споры.

Пример: В лицензии была допущена ошибка вследствие неправильно определённой системы координат, в результате чего произошло смещение участка относительно кадастра практически на 100м. Недропользователь начал оформление земельного участка по границе лицензионного участка, но благодаря своевременной проверке координат перед покупкой участка он был избавлен от ненужного приобретения.

8) Расчет потерь полезного ископаемого

Очень часто в расчете потерь полезного ископаемого встречаются ошибки, либо потери сознательно занижаются или завышаются (в зависимости от случаев). Так как при дальнейшем маркшейдерском учете основные виды потери будут определяться на основе утвержденного технического проекта, то крайне важно проработать данный вопрос.

9) Налоговая политика предприятия

Достаточно часто в техническом проекте не определено, что является товарной продукцией карьера (добытое полезное ископаемое или сырье после переработки). В результате чего, у налоговых органов появляется поле для маневра при определении налогооблагаемой базы НДПИ.

Необходимо четко прописывать что является товарной продукцией в разрезе технологического передела.

Данный перечень далеко не полный, а лишь обращает внимание на наиболее распространенные моменты, встречающиеся в практике.

Если Вы инвестор проекта и не уверены в проектных решениях, закладываемых проектной компанией, то лучше не полениться и отдать его на независимую проверку. Это сбережет Ваши средства и нервы в дальнейшем и позволит избежать ненужных трат.

2. Проект горного отвода в уточненных границах

Проект горного отвода в уточненных границах, подготавливается на основании решений, предусмотренных согласованным и утвержденным техническим проектом разработки месторождения. Если говорить простым языком, то горный отвод удостоверяет геометризированные границы участка недр (в плане и по глубине), предполагаемого к разработке. После согласования проекта горного отвода выдается горноотводной акт, удостоверяющий уточненные границы горного отвода, в котором можно производить работы.

Проект горного отвода выполняется в соответствии с Приказом Ростехнадзора от 9 декабря 2020 года №508 «Об утверждении требований к содержанию проекта горного отвода, форме горноотводного акта, графических приложений к горноотводному акту и ведению реестра документов, удостоверяющих уточненные границы горного отвода»

3. Проект производства маркшейдерских работ

Проект производства маркшейдерских работ (ППМР) определяет, как и с помощью каких средств будут производиться маркшейдерские работы на месторождении. Включает в себя данные по опорной маркшейдерской сети, используемые средства и методы маркшейдерских измерений на месторождении, мониторинг и.т.д. ППМР предъявляется при защите плана развития горных работ и его отсутствие будет являться основанием для отказа в согласовании плана развития горных работ.

Подготавливается на основании «Правил осуществления маркшейдерской деятельности", утвержденных приказом Федеральной службы по экологическому технологическому и атомному надзору от 19.05.2023 г. № 186 и подпункта «е» пункта 5 «Положения о лицензировании производства маркшейдерских работ» (утв. постановлением Правительства РФ №257 от 28.03.2012).

4. План развития горных работ

План развития горных работ является финальным документом для разработки месторождения и составляется на основе утвержденного технического проекта разработки месторождения и определяет направление, объемы и решения по разработке участка недр на конкретный планируемый год. То есть, в отличие от технического проекта разработки месторождения, который составляется на весь период эксплуатации, план развития горных работ уточняет как будут вестись горные работы в текущем календарном году.

Выполняется в соответствии с Приказом Федеральной службы по экологическому, технологическому и атомному надзору от 15.12.2020 № 537 "Об утверждении Требований к подготовке, содержанию и оформлению планов и схем развития горных работ и формы заявления о согласовании планов и (или) схем развития горных работ" и Постановлением Правительства Российской Федерации от 16 сентября 2020 года №1466 « Об утверждении Правил подготовки, рассмотрения и согласования планов и схем развития горных работ по видам полезных ископаемых»

Перед разработкой плана развития горных работ недропользователю обязательно нужно:

- Заключить договор на маркшейдерское обслуживание карьера с организацией, имеющей лицензию на производство маркшейдерских работ либо создать собственную маркшейдерскую службу и получить лицензию на производство маркшейдерских работ.

- Привести сведения о образовании и аттестации персонала в Ростехнадзоре по категории А1 и Б4.3 (не менее одного человека ответственного за ведение горных работ на карьере с профильным горным образованием).

-Иметь правоустанавливающие документы на земельные участки с соответствующей категорией, подходящей для целей недропользования (Выписка ЕГРН или договор аренды).

- Иметь документы на горнодобывающую технику (ПТС, СТС, договора аренды).

- Разработать и утвердить проект производства маркшейдерских работ.

- Если карьер по добыче строительного камня с применением буровзрывных работ (БВР), то его необходимо внести в реестр опасных производственных объектов и получить лицензию на эксплуатацию взрыво-пожароопасных производств. Также потребуется страхование объекта и заключение договора с подрядной организацией на проведение взрывных работ.

Все эти документы прикладываются к плану развития горных работ и являются его неотъемлемой частью.

5. Проект рекультивации нарушенных земель

Подготавливается в виде отдельного документа в соответствии с постановлением Правительства РФ от 10 июля 2018 г. N 800 "О проведении рекультивации и консервации земель" и определяет, как будет осуществляться рекультивация земельного участка после его отработки. Рекультивация может быть как поэтапной в процессе разработки месторождения, так и после его полной отработки. Проект рекультивации необходим также для перевода земель или оформления земель лесного фонда.

Пунктом 15 Постановления №800 установлено, что «Проект рекультивации земель подлежат согласованию с:

а) собственником земельного участка, находящегося в частной собственности;

б) арендатором земельного участка, землевладельцем, землепользователем;

в) исполнительным органом государственной власти и органом местного самоуправления, уполномоченным на предоставление находящихся в государственной или муниципальной собственности земельных участков, в случае проведения рекультивации, консервации в отношении земель и земельных участков, находящихся в государственной или муниципальной собственности, лицами, указанными в пункте 3 или подпункте "б" пункта 4 настоящих Правил».

Технические условия на рекультивацию земель не предусмотрены постановлением Правительства РФ от 10.07.2018 N 800, так как отдельный проект рекультивации и есть документ, который должен быть согласован с собственником.

Важно отметить, что требования Постановления №800 разработаны с учетом земельного законодательства и рассматривают рекультивацию как земельного участка с учетом его исходной категории земель, а не объекта разработки недр. В этом главное отличие от решений по рекультивации карьера, предусмотренных в техническом проекте разработки, от решений по рекультивации земель, предусмотренных отдельным проектом по Постановлению №800

Примерный состав графической части проекта рекультивации:

- Топографический план участка на начало работ

- Разрезы на начало работ (с горизонтальным и вертикальным масштабом).

- Календарный план технической рекультивации

- Картограмма земляных масс

- План на конец рекультивации

- Разрезы на конец рекультивации.

- Паспорта работы технологического оборудовании на рекультивации.

Мы написали первую в России книгу, про создание карьеров и инвестиции в месторождения нерудных материалов, ознакомиться можно в данной статье

Автор: Тимергазин Дмитрий Вадимович,
Генеральный директор ООО «ДОРГЕОПРОЕКТ»
https://www.dorgeoproekt.ru/
Тел. +7 (499) 393-38-36
e-mail: info@dorgeoproekt.ru

© Авторские права защищены. Копирование статьи разрешено только с согласия автора, при условии указания ссылки на данную статью.