Добавить в корзинуПозвонить
Найти в Дзене
zorkinadventures

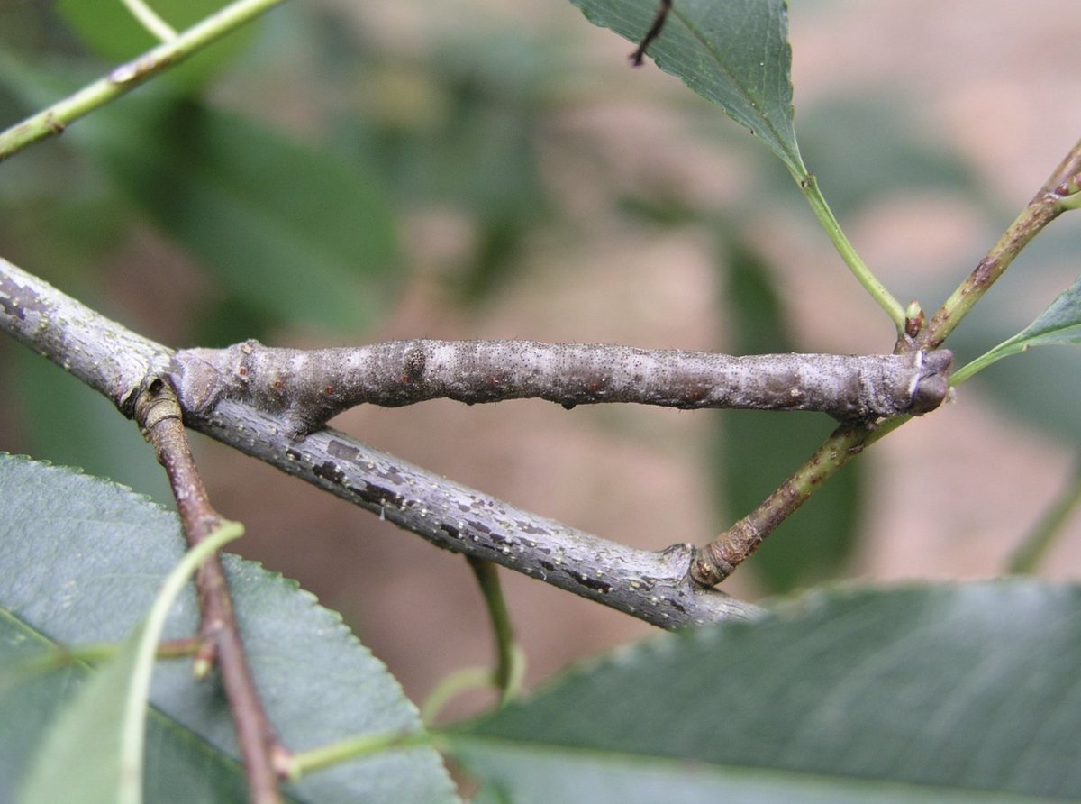
Самый виртуозный маскировщик в России. Это вовсе не ветка, а живое существо

Гусеница березовой пяденицы может подстраиваться под окружающую среду даже с «завязанными» глазами. Бабочки березовой пяденицы (Biston betularia) сами по себе обладают неплохим камуфляжем, который помогает им «потеряться» на фоне деревьев, спасаясь от естественных врагов. Но гусеницы этого вида являются абсолютными униками по части маскировки! Эти существа настолько хорошо вживаются в окружающий пейзаж, что могут напоминать со стороны безжизненные веточки разных оттенков и структур. В прошлом над гусеницами березовой пяденицы даже провели эксперимент: их глазки-оцелии закрасили черной акриловой краской и посадили на деревянные палочки разных цветов. Несмотря на отсутствие зрения, гусеницы поменяли свой цвет точно в соответствии с оттенком палочек, на которых они находились. Эксперимент подтвердил догадки ученых, что для мимикрии гусеницами хватает внезрительной фоторецепцией – то есть на их теле присутствуют рецепторы, анализирующие окружающую среду без привязки к наружным органам зрен
Фото: Evanherk / Wikimediа Commons
Фото: Evanherk / Wikimediа Commons

Гусеница березовой пяденицы может подстраиваться под окружающую среду даже с «завязанными» глазами.

Бабочки березовой пяденицы (Biston betularia) сами по себе обладают неплохим камуфляжем, который помогает им «потеряться» на фоне деревьев, спасаясь от естественных врагов. Но гусеницы этого вида являются абсолютными униками по части маскировки!

Эти существа настолько хорошо вживаются в окружающий пейзаж, что могут напоминать со стороны безжизненные веточки разных оттенков и структур. В прошлом над гусеницами березовой пяденицы даже провели эксперимент: их глазки-оцелии закрасили черной акриловой краской и посадили на деревянные палочки разных цветов.

-2

Несмотря на отсутствие зрения, гусеницы поменяли свой цвет точно в соответствии с оттенком палочек, на которых они находились. Эксперимент подтвердил догадки ученых, что для мимикрии гусеницами хватает внезрительной фоторецепцией – то есть на их теле присутствуют рецепторы, анализирующие окружающую среду без привязки к наружным органам зрения.

Эти гусеницы-артисты обитают в разных регионах Северного полушария, Азии и Европе.

В России встречаются на Кавказе, Дальнем Востоке и южной Сибири. Вылупляются они из яиц в середине лета и активничают с июля по сентябрь – но даже пристально вглядевшись в лесной антураж, вы их вряд ли заметите, уж слишком хорошо они стараются походить на естественную часть дерева.

Гусеницы даже могут прикреплять головы к веточкам и вытягиваться наружу, сохраняя форму торчащей ветки в течение долгого времени. В общем, если вы вдруг заметите тополь, дуб, липу или ясень со странными веточками, не спешите трогать все, но приглядитесь внимательно — вдруг одна из них является вовсе не тем, за что себя выдает!

-3