Найти в Дзене
"HomeLive"

Ученые не могут объяснить происхождение следов обнаруженных на дне Атлантического океана.

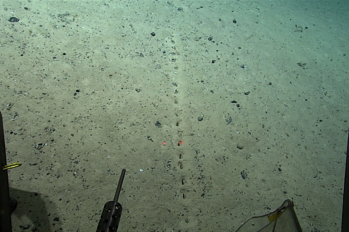
В 2022 году национальным управлением океанических и атмосферных исследований, именуемое как NOAA, проведена экспедиция по исследованию малоизученных глубоководных районов океанов. В ходе проведения данной экспедиции, на дне Атлантического океана, океанологами были обнаружены и зафиксированы следы странных подводных образований. Прерывистые линии с четкими отверстиями обнаружены на дне Атлантического океана, в районе Срединно-Атлантического хребта, который также является самой длинной подводной горной цепью в мире. Хребет протянулся на 16 000 километров с севера на юг вдоль Атлантического океана, на глубине 2,7 километра. Управление NOAA по факт обнаружения данных следов прокомментировала следующим образом: «Во время субботнего погружения мы наблюдали несколько таких сублинейных цепочек из «отверстий» в донных отложениях. О них уже сообщалось ранее, но их происхождение остается загадкой. Они выглядят рукотворными, из-за маленьких кучек вокруг отверстий создается впечатление, что они бы
Фото: NOAA Ocean Exploration
Фото: NOAA Ocean Exploration

В 2022 году национальным управлением океанических и атмосферных исследований, именуемое как NOAA, проведена экспедиция по исследованию малоизученных глубоководных районов океанов. В ходе проведения данной экспедиции, на дне Атлантического океана, океанологами были обнаружены и зафиксированы следы странных подводных образований.

Прерывистые линии с четкими отверстиями обнаружены на дне Атлантического океана, в районе Срединно-Атлантического хребта, который также является самой длинной подводной горной цепью в мире. Хребет протянулся на 16 000 километров с севера на юг вдоль Атлантического океана, на глубине 2,7 километра.

Срединно-Атлантического хребет (фото из открытых источников)
Срединно-Атлантического хребет (фото из открытых источников)

Управление NOAA по факт обнаружения данных следов прокомментировала следующим образом:

«Во время субботнего погружения мы наблюдали несколько таких сублинейных цепочек из «отверстий» в донных отложениях. О них уже сообщалось ранее, но их происхождение остается загадкой. Они выглядят рукотворными, из-за маленьких кучек вокруг отверстий создается впечатление, что они были специально выкопаны… чем-то» - NOAA

Узнавшие о данной находке пользователи сети интернет высказали предположение, что отверстия могли быть проделаны роющим пурпурным австралийским червем. Однако, это существо обычно обитает на глубине от 10 до 40 метров в тропических водах, и на глубине в 2700, где обнаружены следы, их обитание не выявлено.

Майк Эллиотт — профессор эстуарных и прибрежных наук Университета Халла, морской биолог с широкими интересами в области морской и эстуарной экологии, пояснил по данному факту о том, что ему неизвестно, есть ли какие-либо «глубоководные животные, которые могли бы сделать такие отверстия».

В пресс-релизе NOAA говорится, что исследователи не могут точно определить источник отверстий и то, как они были созданы. Но они предположили, что отверстия могут указывать на роющую деятельность морского животного, которое обитает среди донных осадков.

Похожий случай произошел в 1995 году на морском дне у берегов Японского острова Осима. Дайверы обнаружили и зафиксировали на камеру странный след - правильный круг размером около двух метров. В его середине был участок с особенно чистым и мягким песком, а во все стороны от него расходились аккуратные борозды.

Загадочный след, обнаруженный на дне у острова Осима Фото: Hiroshi Kawase
Загадочный след, обнаруженный на дне у острова Осима Фото: Hiroshi Kawase

И только в 2011 году удалось разгадать данную загадку происхождения кругов - при очередном погружении дайверы заметили, как небольшая рыбка – сантиметров двенадцать, не больше – плыла у самого дна, с усердием двигая плавниками, а за ней по песку тянулась аккуратная канавка.

Рыбка оказалась представителем семейства иглобрюхих (то есть была ближайшим родичем знаменитой рыбы фугу), и к тому же – самцом. Круг, который она тщательно вычерчивала на морском дне, предназначался для продолжения рода.

В дополнении к данной статье хочу пояснить, что в настоящее время глубины океана так и не исследованы человеком, даже на малую часть и что там может скрываться остается тайной о которой только стоит догадываться..