Добавить в корзинуПозвонить
Найти в Дзене
Иванова Наука

Это средство избавит от колорадского жука, гусениц, тлей и слизней НАВСЕГДА! Очень простой рецепт без токсичных компонентов.

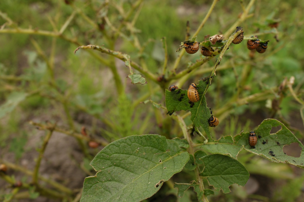
Устойчивость колорадского жука и других вредителей к пестицидам хорошо известна. Можно потратить кучу денег на самые современные яды и всё-равно остаться без урожая. При этом, существуют безопасные для здоровья и окружающей среды способы побороть широкий спектр вредителей (а не только, например, колорадского жука), среди которых минеральные инертные компоненты становятся очень популярными. О таком средстве, которое доступно каждому и каждый может приготовить его сколько угодно для своих нужд, пойдет речь в этом материале. Одним из популярных средств против вредителей является диатомитовая мука. Ею опыляют растения по влажным листьям. Вредители избегают не только питаться листьями, опыленными такой мукой, но и даже селиться на обработанных растениях. Тот же принцип используется при опудривании растений золой против колорадского жука или блошки. Однако, большой расход золы или муки, неравномерность внесения, трудоемкость работы и невозможность тщательной обработки растений ограничивает и

Устойчивость колорадского жука и других вредителей к пестицидам хорошо известна. Можно потратить кучу денег на самые современные яды и всё-равно остаться без урожая. При этом, существуют безопасные для здоровья и окружающей среды способы побороть широкий спектр вредителей (а не только, например, колорадского жука), среди которых минеральные инертные компоненты становятся очень популярными. О таком средстве, которое доступно каждому и каждый может приготовить его сколько угодно для своих нужд, пойдет речь в этом материале.

По словам ученых, маловероятно, что даже совершенно новый инсектицид надолго удержит вредителя в узде. Приходится изобретать принципиально новые способы.
По словам ученых, маловероятно, что даже совершенно новый инсектицид надолго удержит вредителя в узде. Приходится изобретать принципиально новые способы.

Одним из популярных средств против вредителей является диатомитовая мука. Ею опыляют растения по влажным листьям. Вредители избегают не только питаться листьями, опыленными такой мукой, но и даже селиться на обработанных растениях. Тот же принцип используется при опудривании растений золой против колорадского жука или блошки. Однако, большой расход золы или муки, неравномерность внесения, трудоемкость работы и невозможность тщательной обработки растений ограничивает использование этих способов. Ими чаще всего пользуются на молодых растениях редиса или капусты от блошки. Когда же дело доходит до больших площадей, садоводы и огородники переходят на химию, а, как было сказано выше, даже "тяжелая" химия не всегда помогает. Что уж говорить о слизнях, на которых инсектициды и вовсе не действуют.

Диатомитовая мука (или земля) - хорошее средство от разнообразных вредителей, но... дорогое и трудоемкое!
Диатомитовая мука (или земля) - хорошее средство от разнообразных вредителей, но... дорогое и трудоемкое!

Разумеется, всем очень хочется отыскать универсальное средство, которое бы прогоняло большинство вредителей, среди которых тли, цикадки, трипсы, слизни, колорадский жук, гусеницы... При этом, оно должно быть эффективным в разных условиях, не слишком активно смываться дождем, легким в приготовлении и использовании. И такое средство было найдено. Это - соединения, содержание кремний, который не только отгоняет и губит вредителей, но еще и улучшает рост и развитие растений, повышает их устойчивость к болезням, увеличивает урожай.

Конечно. существуют и коммерческие препараты на основе кремния, но зачем доставать мало доступные средства, да еще за бешеные деньги, если можно все сделать своими руками.
Конечно. существуют и коммерческие препараты на основе кремния, но зачем доставать мало доступные средства, да еще за бешеные деньги, если можно все сделать своими руками.

Состав домашнего средства против вредителей очень простой. Вам понадобится жидкое стекло (калиевое или натриевое), а также одна из активных добавок: железный, медный купорос или кальциевая селитра.

Медный купорос лучше использовать в случае, когда дополнительной проблемой являются и болезни растений, в особенности альтернариоз или фитофтороз на томате или картофеле, различные пятнистости. Железный купорос лучше действует на слизней, а также помогает справиться с железодефицитным хлорозом. А использование кальциевой селитры оправдано при борьбе с нашествием разнообразных и трудных вредителей.

Главный компонент нашего состава - жидкое стекло, такое же, как мы используем для обработки растений против жары.
Главный компонент нашего состава - жидкое стекло, такое же, как мы используем для обработки растений против жары.

Процесс приготовления домашнего состава очень простой. В небольшом объеме воды, например, в 2 литрах, нужно растворить купорос или селитру, после чего добавить жидкое стекло. На 10 л готового раствора понадобится:

1 столовая ложка любого купороса или селитры;

2 столовые ложки жидкого стекла.

После смешивания влейте получившийся раствор в опрыскиватель, после чего доведите объем до 10 л.

В процессе приготовления должны образоваться мельчайшие частички активного вещества - раствор как бы свернется. Так и должно быть.
В процессе приготовления должны образоваться мельчайшие частички активного вещества - раствор как бы свернется. Так и должно быть.

Раствор хранению не подлежит, используйте его сразу же.

Обрабатывайте растения с верхней стороны от листогрызущих вредителей (колорадский жук, листоеды, гусеницы, слизни) и с обеих сторон, если вредители прячутся на нижней стороне листа (тли, цикадки, клещи).

После обработки обязательно как следует сполосните опрыскиватель и промойте фильтр, чтобы крупные частички активного вещества не испортили агрегат. Кстати, много интересной информации по работе с садовой техникой, ее ремонту и обслуживанию - на канале Юрия Фёдорова.

Обязательно промывайте фильтр опрыскивателя после использования подобных составов: бордоской и бургундской жидкостей, других медьсодержащих составов и т.п.
Обязательно промывайте фильтр опрыскивателя после использования подобных составов: бордоской и бургундской жидкостей, других медьсодержащих составов и т.п.

Обычно после дождя повторять обработку не требуется. но если дождь был очень сильный, то, пожалуй. стоит повторить.

Также обработку следует повторять при появлении очередного яруса листьев. Обычно такие ярусы у картофеля появляются до начала цветения. А у индетерминантных (высоких) томатов - постоянно вплоть до окончания культуры.

С плодов состав смывается струей теплой воды, поэтому при обработке томатов, огурцов, перцев или земляники просто тщательно мойте плоды теплой водой - как и во всех остальных случаях.

Что же, используйте этот состав по случаю и мере необходимости и вы увидите, насколько он удобен и хорошо действует что на картофеле, что на овощах, что на цветах или плодовых деревьях.

Процесс приготовления состава смотрите в этом видео:

Пусть ваш сад и огород обойдется и без вредителей, и без "химии".

Если материал вам понравился и вы хотите оказать поддержку автору, то это можно сделать очень просто!

СПАСИБО!!!!