Добавить в корзинуПозвонить
Найти в Дзене

Блефаропластика: идеальный способ против старения век

Дряблая кожа, нависшие веки, мешки под глазами – все это является возрастными изменениями. Всё бы ничего, только красоты и привлекательности они не придают, делая взгляд уставшим и серьезным. Избавиться от таких изменений поможет блефаропластика. Блефаропластика – пластическая операция по коррекции верхних и нижних век, является актуальной и очень популярной, как среди женщин, так и среди мужчин. Устранение усталого взгляда с помощью верхней блефаропластики Производя коррекцию верхних век, хирург делает разрез в естественной складке, подтягивает кожу и мышцы, иссекает лишнюю кожу. Шов, наложенный в естественной складке, не будет выделяться. А взгляд станет открытым и моложавым. Избавление от мешков с помощью нижней блефаропластики Мешки под глазами могут образовываться и у молодых людей. Поэтому если мешки под глазами не являются последствием сбоя в работе организма (почек, например), то такие образования можно устранить с помощью нижней блефаропластики. Под нижними ресничками хирург д
Оглавление

Дряблая кожа, нависшие веки, мешки под глазами – все это является возрастными изменениями. Всё бы ничего, только красоты и привлекательности они не придают, делая взгляд уставшим и серьезным. Избавиться от таких изменений поможет блефаропластика.

Блефаропластика – пластическая операция по коррекции верхних и нижних век, является актуальной и очень популярной, как среди женщин, так и среди мужчин.

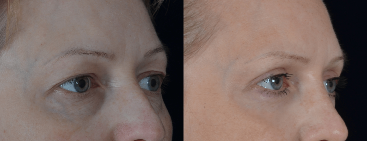
Блефаропластика верхних век фото до и после. Фото с сайта Д.Р. Гришкяна. Имеются противопоказания, требуется консультация специалиста
Блефаропластика верхних век фото до и после. Фото с сайта Д.Р. Гришкяна. Имеются противопоказания, требуется консультация специалиста

Устранение усталого взгляда с помощью верхней блефаропластики

Производя коррекцию верхних век, хирург делает разрез в естественной складке, подтягивает кожу и мышцы, иссекает лишнюю кожу. Шов, наложенный в естественной складке, не будет выделяться. А взгляд станет открытым и моложавым.

Избавление от мешков с помощью нижней блефаропластики

Мешки под глазами могут образовываться и у молодых людей. Поэтому если мешки под глазами не являются последствием сбоя в работе организма (почек, например), то такие образования можно устранить с помощью нижней блефаропластики.

Под нижними ресничками хирург делает надрез, распределяет скопившийся жир, подтягивает мышцы. В результате получается гладкий и естественный контур.

Трансконъюктивальная пластика нижних век фото до и после. Фото с сайта Д.Р. Гришкяна. Имеются противопоказания, требуется консультация специалиста
Трансконъюктивальная пластика нижних век фото до и после. Фото с сайта Д.Р. Гришкяна. Имеются противопоказания, требуется консультация специалиста

С чем сочетают блефаропластику

Современная блефаропластика делается совместно с липофилингом. Жир, используемый в качестве филлера, позволяет избежать скелетизацию, А-деформацию, убирает синеву под глазами и омолаживает кожу. Благодаря факторам роста, жир в местах введения еще долго будет работать на восстановление кожи.

Блефаропластика верхнего века и липофилинг лица, включая нижние веки фото до и после. Фото с сайта Д.Р. Гришкяна. Имеются противопоказания, требуется консультация специалиста
Блефаропластика верхнего века и липофилинг лица, включая нижние веки фото до и после. Фото с сайта Д.Р. Гришкяна. Имеются противопоказания, требуется консультация специалиста

Еще блефаропластику можно сочетать с подтяжкой лица, ботоксом, мезонитями.

Пластика по коррекции век занимает от 45 минут до 2 часов, в зависимости от сложности. Анестезия может быть местной, и общей – обговаривается с врачом, он принимает решение.

Рекомендации после блефаропластики

  • для более быстрого рассасывания синяков, отеков, болевых ощущений можно прикладывать холодные компрессы, спать на высокой подушке с приподнятой головой;
  • больше давать глазам отдыхать, так как в первое время после пластики они будут быстрее уставать;
  • носить солнечные очки, выходя на улицу, чтобы защитить их от ветра и солнца;
  • в первый месяц избегать физических нагрузок, ни наклоняться, ни греть область глаз.

Чтобы как можно дольше сохранить результат, нужно ухаживать за орбитальной областью. Наряду с уходовыми средствами, необходимо пользоваться солнцезащитным кремом, вести здоровый образ жизни, посещать косметолога.

Больше информации о блефаропластике, а также фото до и после можно посмотреть на нашем сайте.

Блефаропластика имеет противопоказания, необходима консультация специалиста.

Друзья! Также рад пригласить Вас всех присоединиться к нашим страницам во VK https://vk.com/dr.grishkyan_david, https://vk.com/grishkyan.clinic. Мы как и все постепенно переезжаем из Instagram (запрещен в России) и создаем там новый интересный контент.