Добавить в корзинуПозвонить
Найти в Дзене
Экзотика Цветов

Ортилия однобокая

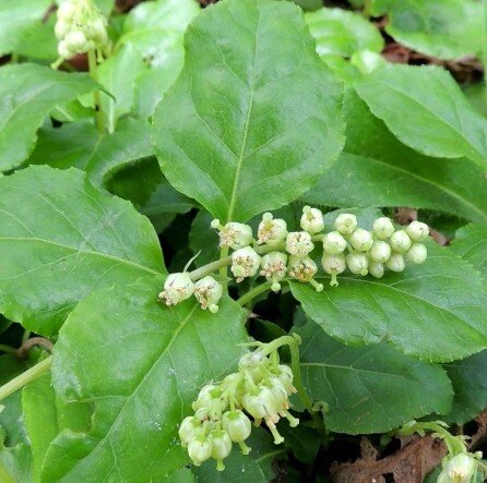
Боровая матка или Ортилия однобокая Многолетнее травянистое растение. Народные названия растения: бокоцветка, боровая трава, боровинка, винная трава, заячья соль, грушовник, лесная грушка, зимозелёнка. Побеги высотой 5—25 см, полегающие. Корневище длинное ветвистое, придаточные корни многочисленные, тонкие. Годичный прирост корневища может достигать 1 м. Листья зимнезелёные, очерёдные, овальные или округлые, цельнокрайные или слегка городчатые, ясно черешковые, в верхней части стебля яйцевидно-ланцетные чешуевидные, зелёные или буроватые, до 8 мм длиной, в нижней — светло-зелёные продолговато-яйцевидные остропильчатые, до 4 см длиной, довольно тонкие. Листья расположены в нижней части стебля, но не скучены в розетку. Черешок обычно короче листовой пластинки, но иногда равен ей. Цветки поникающие, собраны по 8—18 в густом многоцветковом кистевидном однобоком соцветии. Венчик зеленовато-белый, почти колокольчатый, правильный, 4—5 мм длиной, со сходящимися лепестками, по краям мелкозубчат

Боровая матка или Ортилия однобокая

Многолетнее травянистое растение. Народные названия растения: бокоцветка, боровая трава, боровинка, винная трава, заячья соль, грушовник, лесная грушка, зимозелёнка.

-2

Побеги высотой 5—25 см, полегающие. Корневище длинное ветвистое, придаточные корни многочисленные, тонкие. Годичный прирост корневища может достигать 1 м.

-3

Листья зимнезелёные, очерёдные, овальные или округлые, цельнокрайные или слегка городчатые, ясно черешковые, в верхней части стебля яйцевидно-ланцетные чешуевидные, зелёные или буроватые, до 8 мм длиной, в нижней — светло-зелёные продолговато-яйцевидные остропильчатые, до 4 см длиной, довольно тонкие. Листья расположены в нижней части стебля, но не скучены в розетку. Черешок обычно короче листовой пластинки, но иногда равен ей.

-4

Цветки поникающие, собраны по 8—18 в густом многоцветковом кистевидном однобоком соцветии. Венчик зеленовато-белый, почти колокольчатый, правильный, 4—5 мм длиной, со сходящимися лепестками, по краям мелкозубчатыми.

-5

Лепестков и чашелистиков по 5, доли чашечки треугольные, мелко-зубчатые. Тычинки прямостоячие. Столбик длиннее венчика, без кольца, прямой. Рыльце широкое, почти звёздчатое, пятиугольное. Пыльники без рожков. В основании завязи — железистый подпестичный диск с 10 зубчиками. В европейской части России цветёт в июне—июле.

Плод — овальная коробочка длиной до 6 мм, раскрывается снизу вверх. Плодоносит в августе.

-6

Всем добра и весеннего настроения!

#экзотика цветов

Поставь свой Царский лайк!
Поставь свой Царский лайк!