Найти в Дзене
Алмаз Кучембаев

Алмаз Кучембаев: Снос гаражей в Москве (САО, Левобережная) для чего.

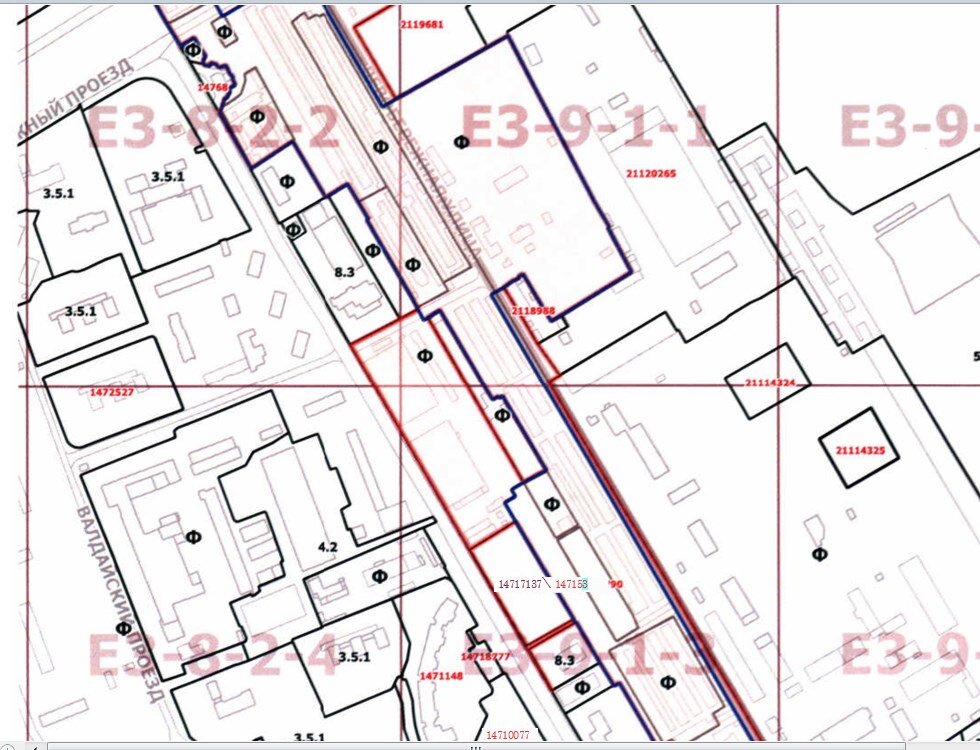
Снос гаражей в Москве (САО, Левобережная). Распоряжением Москомархитектуры от 12.02.22 г. принято решение в I квартале 2022 г. проект внесения изменений в правила землепользования и застройки города Москвы в отношении территории по адресу: ул. Левобережная, вл. 6А, САО. Пусть вас не путает адрес, это лишь географический ориентир. Все гаражи хотят снести. При этом основания для внесения изменений в приказе не указано. Между тем в ч. 1 ст. 33 Градостротельного кодекса РФ содержится исчерпывающий перечень оснований. Иточник сообщает, что речь идет о конкретном проекте строительства многоэтажных домов в непосредственной близости к метро. У физических или юридических лицами есть право подать свои предложения для учета их при изменении. И если они не будут учтены оспорить проект. Очевидно, снос гаражей без постройки многоэтажных паркингов еще больше ухудшит положение жителей района в плане обеспечения парковочными местами. Сейчас эта территория помечена буквой Ф, что значит фактическое поль

Снос гаражей в Москве (САО, Левобережная). Распоряжением Москомархитектуры от 12.02.22 г. принято решение в I квартале 2022 г. проект внесения изменений в правила землепользования и застройки города Москвы в отношении территории по адресу: ул. Левобережная, вл. 6А, САО. Пусть вас не путает адрес, это лишь географический ориентир. Все гаражи хотят снести.

При этом основания для внесения изменений в приказе не указано. Между тем в ч. 1 ст. 33 Градостротельного кодекса РФ содержится исчерпывающий перечень оснований. Иточник сообщает, что речь идет о конкретном проекте строительства многоэтажных домов в непосредственной близости к метро.

У физических или юридических лицами есть право подать свои предложения для учета их при изменении. И если они не будут учтены оспорить проект. Очевидно, снос гаражей без постройки многоэтажных паркингов еще больше ухудшит положение жителей района в плане обеспечения парковочными местами.

Сейчас эта территория помечена буквой Ф, что значит фактическое пользование. При этом большая часть территории как участки не сформирована и, следовательно, разрешенное использование земель не определено.

Также большая часть территории относится к Охранной зоне ЛЭП 110 кВ "ТЭЦ-21-Новобратцево V" с отпайкой на ПС "Коровино" №604 и Охранной зоне ЛЭП 110 кВ "ТЭЦ-21-Н.Братцево III". Что тоже, скорее всего, может повлиять лишь на цену проекта в размере стоимости выноса сетей, но не остановить застройку территории.

В зависимости от статуса гаражей - самострой или с выделением земли, город может выплатить компенсацию 175000 за каждый металлический гараж. Для этого есть Постановление 63-ПП от 2011 года. Но и владельцы гаражей могут просить учесть их интересы и узаконить их нахождение на этой территории.

Важно понимать, что Правила землепользования и застройки должны соответствовать Генеральному плану города. На котором территория закреплена как коммунальная. На ней можно планировать только коммунальные и складские объекты, объекты жилищно-коммунального хозяйства, транспорта и оптовой торговли. Если соответствия не будет, решение городских властей можно будет оспорить в суде. Больше на тему соответствия по ссылке >>>.
Так собственно и произошло. ПЗЗ привели в соответствие с Генеральным планом, и запланировали тут строительство школы. Будем следить за реализацией планов.

-2