Добавить в корзинуПозвонить
Найти в Дзене

Каперсы: маленькие бутоны с сильным ароматом

Маленькие зеленые бутоны каперсов особенно популярны в средиземноморской кухне, например, для вителло тоннато. Но они также улучшают классические блюда и являются уникальным ингредиентом при приготовлении по рецептам правильного питания. В то время как каперсы занимают постоянное место в итальянской, испанской, французской, греческой кухнях, маленькие зеленые бутоны этого деликатеса редко попадают на нашу кухню. Каперсы всегда доступны в маринованном виде, потому что они несъедобны в сыром виде. В маринаде они имеют ярко выраженный кисло-пряный аромат. Для производства шишки сначала искусственно увяливают после сбора урожая, а затем помещают в рассол из уксуса и масла или в соль. Каперсы, маринованные в соли, имеют особенно интенсивный вкус, но перед употреблением их следует вымочить. Настоящий или колючий куст каперсов (Capparis spinosa) представляет собой полукустарник. Он вырастает до 1 метра в высоту и может распространяться до 3 метров по площади. Настоящий куст каперсов - самый
Оглавление

Маленькие зеленые бутоны каперсов особенно популярны в средиземноморской кухне, например, для вителло тоннато. Но они также улучшают классические блюда и являются уникальным ингредиентом при приготовлении по рецептам правильного питания.

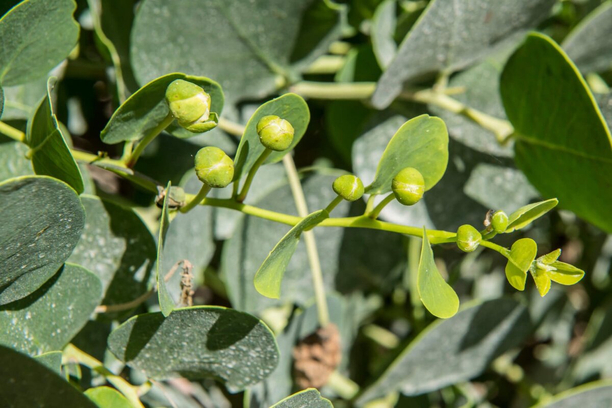
Так растут каперсы
Так растут каперсы

В то время как каперсы занимают постоянное место в итальянской, испанской, французской, греческой кухнях, маленькие зеленые бутоны этого деликатеса редко попадают на нашу кухню. Каперсы всегда доступны в маринованном виде, потому что они несъедобны в сыром виде. В маринаде они имеют ярко выраженный кисло-пряный аромат.

шишечки каперсов, бутоны
шишечки каперсов, бутоны

Для производства шишки сначала искусственно увяливают после сбора урожая, а затем помещают в рассол из уксуса и масла или в соль. Каперсы, маринованные в соли, имеют особенно интенсивный вкус, но перед употреблением их следует вымочить.

Настоящий или колючий куст каперсов (Capparis spinosa) представляет собой полукустарник. Он вырастает до 1 метра в высоту и может распространяться до 3 метров по площади. Настоящий куст каперсов - самый известный из десяти различных кустов каперсов Средиземноморья.

Кусты диких каперсов чрезвычайно неприхотливы и даже растут на бесплодной почве, камнях и стенах старых руин. Не зря итальянцы говорят, что куст каперсов «питается ветром и солнцем». Однако для наших маринованных каперсов кусты диких каперсов больше не собирают, как, например, все еще распространено в Марокко, а кусты без шипов выращивают на плантациях. Наряду с Турцией, Грецией и Испанией, южная Франция и южная Италия являются одними из основных стран-производителей.

Они определенно полезны!

Каперсы содержат много витаминов B1, B2 и B3, а также минералы кальций, калий, магний и натрий, а также медь. Интересен также ингредиент кверцетин. Флавоноид с антиоксидантным действием считается поглотителем радикалов в организме.

Каперсы издревле известны как лечебное и возбуждающее средство. Древние египтяне, римляне, греки и арабы использовали все каперсы с корнями, корой, листьями, цветами и плодами против артрита или болезней печени и селезенки.

В Иране каперсы издавна едят против повышенного сахара в крови. В Италии жевание коры каперсов считается хорошим средством от зубной боли. Берберы-кочевники в Северной Африке использовали пасту из меда и каперсов против морщинистой и сухой кожи.

Каперсы, конечно, не серебряная пуля от рака и сердечных приступов, но они определенно полезны.

Каперсы: чем меньше, тем тоньше аромат

Помимо типа рассола, при покупке играет роль и размер. Более крупные каперсы на вкус сильнее, мелкие - более тонкий аромат. При покупке они всегда должны быть твердыми. Если вы хотите сохранить открытую банку, убедитесь, что она плотно закрыта. Каперсы также следует залить жидкостью. Их хватит на несколько недель даже в открытом состоянии.

Каперсы каперсам рознь - плоды и цветы

Яблочки каперсов значительно большего размера - это плоды куста каперсов, которые развиваются, когда почки не собирают, а дают созреть. Их можно использовать так же, как каперсы, и они также очень вкусны сами по себе в качестве закуски, например, с оливками с бокалом вина. Яблоки каперса тверже, чем каперсы соцветия, и содержат мелкие косточки. Обычно они маринуются с черешком.

Плоды каперсов, яблочки
Плоды каперсов, яблочки

Блюда с каперсами

Традиционное блюдо с каперсами - Königsberger Klopse. Каперсы также практически незаменимы для многих итальянских деликатесов, таких как вителло тоннато, блюдо, приготовленное из тонко нарезанной телятины и с тунцом и майонезом.

Vitello Tonnato
Vitello Tonnato

Еще одна классика - очень мелко нарезанная сырая говядина, украшенная каперсами, различными травами и специями. В целом маленькие бутоны хорошо сочетаются с мясными блюдами и улучшают крепкие соусы.

Königsberger Klopse
Königsberger Klopse

Каперсы также хороши на вкус с пастой, например, в сочетании с анчоусами и оливками, как спагетти путтанеска. Всегда добавляйте каперсы перед самой подачей, иначе нежные фрукты потеряют аромат.

Совет по приготовлению: жареные во фритюре каперсы

Вместо того, чтобы добавлять каперсы или каперсы непосредственно в блюдо, их также можно заранее их обжарить. После чего они становятся слегка хрустящими. Сначала промыть, обсушить и обжарить на сковороде в масле. Затем ненадолго выложить на кухонную бумагу и обезжирить.