Найти в Дзене

Диагностика дисплазии ТБС (HIP) у собак

Диагностика и экспертиза дисплазии тазобедренных суставов
Комплексная диагностика дисплазии тазобедренных суставов (HIP) включает в себя проведение теста Ортолани с определением угла Ортолани (угол репозиции) и угла Барлоу (угол повторного вывиха), а также рентгенографическое исследование суставов в различных проекциях.
Оглавление

Диагностика и экспертиза дисплазии тазобедренных суставов

Комплексная диагностика дисплазии тазобедренных суставов (HIP) включает в себя проведение теста Ортолани с определением угла Ортолани (угол репозиции) и угла Барлоу (угол повторного вывиха), а также рентгенографическое исследование суставов в различных проекциях.

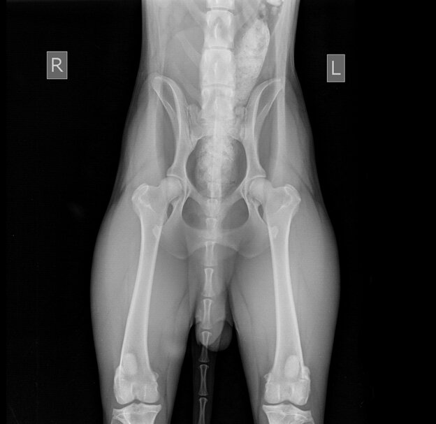
 Тазобедренные суставы в норме
Тазобедренные суставы в норме
 Дисплазия ТБС
Дисплазия ТБС
 Тяжелая степень дисплазии тазобедренных суставов
Тяжелая степень дисплазии тазобедренных суставов

В наших клиниках проводится диагностика дисплазии тазобедренных и локтевых суставов (эксперт Белорусского кинологического объединения — Базылевский Алексей Александрович ).

Кому необходимо производить обследование:

  1. Все собаки крупных и гигантских пород в возрасте до 4 месяцев и 12-18 месяцев;
  2. Собаки любых пород, имеющие признаки:
  • Неправильный постав тазовых конечностей;
  • Щенок не может лежать на животе в позе «лягушки», с раскинутыми в стороны задними лапами;
  • Пониженная двигательная активность;
  • Хромота, усиливающаяся после нагрузки;
  • Изменение походки (походка может стать неустойчивой, качающейся, прыгающей, иногда наблюдают «заячий бег», когда собака при движении отталкивается обеими задними лапами одновременно;
  • Собаке трудно подниматься из лежачего положения;
  • Собака не может прыгать;
  • Тяжело дается спуск и подъем по лестнице и др.
  1. Собаки крупных пород старше 12 месяцев и гигантских пород старше 18 месяцев, участвующие в разведении (экспертиза по правилам FCI).

Дисплазия ТБС может проявляться в любом возрасте!

Как проводится диагностика дисплазии тазобедренных суставов:

  1. Производится осмотр и установленные тесты.
  2. Животному выполняется непродолжительная седация. Проводится рентгенография тазобедренных суставов в позиции 1 и, при необходимости, в позиции 2. Выполнение снимков без седации запрещено! Исследования занимает около 5-15 минут и животное сразу приходит в сознание.
  3. Проводится оценка полученных рентгенограмм, расчет необходимых показателей.
  4. Даётся заключение о наличии или отсутствии дисплазии и консультация владельцев о дальнейших действиях.

Опасно ли проводить диагностику дисплазии ТБС?

В наших клиниках используется лучшее анестезиологическое обеспечение, исключающее риски наркозных и постнаркозных осложнений. Цифровые рентгеновские аппараты снижают дозу облучения к минимуму.

Перед проведением данной манипуляции владельцам будет подробно рассказано о подготовке животного к исследованию и о необходимых наблюдениях после него.

Совместная работа владельцев и ветеринарных специалистов делают обследование абсолютно безопасным для животного и человека!

Как пройти Экспертизу по диагностике дисплазии тазобедренных суставов с выдачей Международного сертификата?

Целями и задачами экспертизы тазобедренных суставов является планомерная систематизация племенного разведения собак крупных и гигантских пород и контроль за ним с целью отбора и улучшения имеющегося поголовья.

Предметом экспертизы является рентгенологическое исследование тазобедренных суставов собак на наличия или отсутствия дисплазии с присвоением оценки, характеризующей состояние суставов.

Действительный эксперт руководствуется в своей работе «Requirements for official hip dysplasia screening» и иными требованиями и рекомендациями FCI.

Все животные для прохождения экспертизы должны быть идентифицированы с использованием микрочипа или клейма.

Минимальным возрастом для экспертизы большинства пород является 12 месяцев, а для крупных и гигантских – 18 месяцев.

Для прохождения экспертизы владелец животного заполняет специальную форму на сайте БКО. Заявке присваивается идентификационный номер и формируется направление на экспертизу. Правильность и достоверность сведений подтверждается подписью владельца и удостоверяется клубом, членом которого он является.

Экспертиза проводится при наличии правильно оформленного направления и оригинала родословной. Перед экспертизой эксперт собственнолично проверяет все регистрационные данные.

Эксперт собственнолично проводит рентгенологическое исследование и даёт оценку результатам согласно признанной классификации FCI. Результат экспертизы вносится экспертом в соответствующее направление, скрепляет личной подписью и печатью.

Результат экспертизы, скрепленный личной подписью и печатью эксперта, является сертификатом и может использоваться владельцем для внесения данных экспертизы в родословную.

Копия сертификата размещается совместно с рентгенограммами в специальном электронном хранилище. Срок хранения результатов экспертиз составляет не менее 5 лет.

Узнать более подробную информацию по диагностике и экспертизе дисплазии тазобедренных суставов можно по телефонам клиник в России и Беларуси.