Добавить в корзинуПозвонить
Найти в Дзене

Мелкого окуня нет. Только Крупняк! Ловля окуня на блесну на Ладоге в Креницах

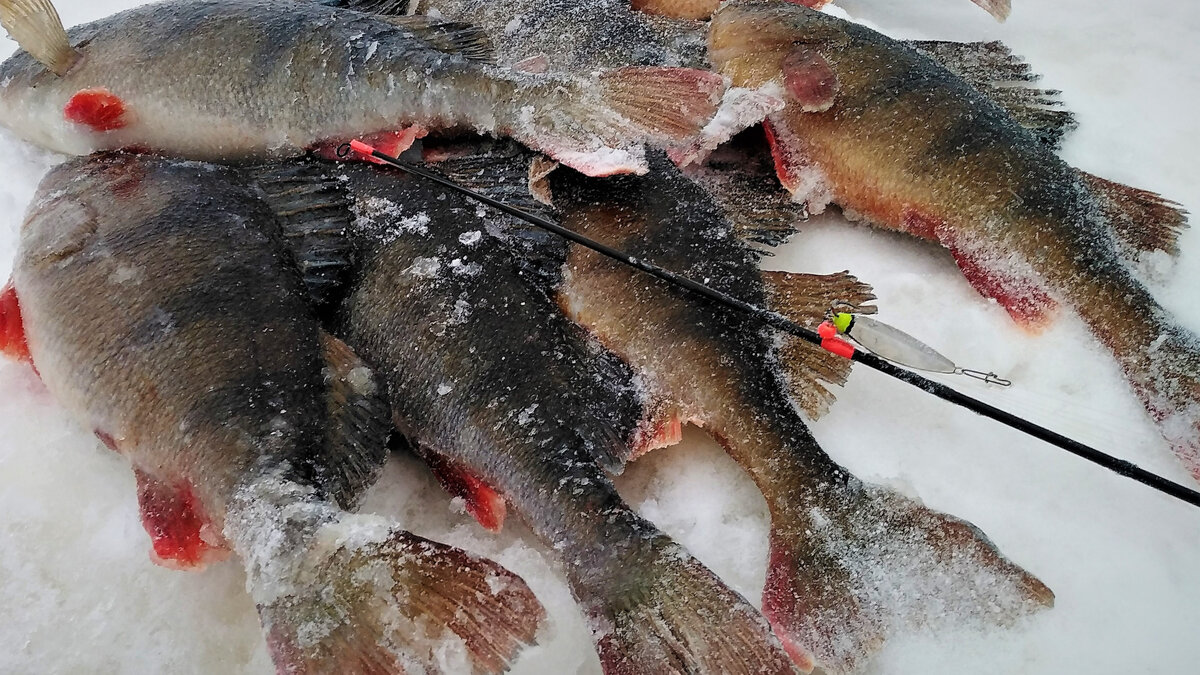
Удивительно как быстро меняется ситуация на льду. Если ещё несколько дней назад мы в Ладоге были почти в одиночестве, то сейчас там толпы народа. С утра вереницей друг за другом идёт техника: доставка, снегоходы, мотособаки, аэролодки и другая снегоходная техника. Естественно, от такого шума пугается рыба, да к тому же все те рыбаки, что едут, ловят окуня. Ловят и забирают всё! А что будет когда появится возможность выезжать на лёд на машинах? По рыбе тоже всё изменилось. Уже нет того изобилия когда на новой лунке после двух-трёх взмахов удочкой начинаешь чувствовать присутствие окуня. Приходится поискать. Зато мелочи практически нет, пусть редко, но ловится только крупняк! День начал со своей любимой блесны впайки- КлопИК 32мм в "Люксовом" исполнении. Как поставил её с утра, так весь день с ней и пробегал В первой же лунке после десяти минут раскачки клюнул бонус дня. Он в центре на фото. Клюнул почти у самой кромки льда Потом что-то большое клюнуло ещё. Но у самой кромки льда сход. О

Удивительно как быстро меняется ситуация на льду. Если ещё несколько дней назад мы в Ладоге были почти в одиночестве, то сейчас там толпы народа. С утра вереницей друг за другом идёт техника: доставка, снегоходы, мотособаки, аэролодки и другая снегоходная техника. Естественно, от такого шума пугается рыба, да к тому же все те рыбаки, что едут, ловят окуня. Ловят и забирают всё! А что будет когда появится возможность выезжать на лёд на машинах?

По рыбе тоже всё изменилось. Уже нет того изобилия когда на новой лунке после двух-трёх взмахов удочкой начинаешь чувствовать присутствие окуня. Приходится поискать. Зато мелочи практически нет, пусть редко, но ловится только крупняк!

День начал со своей любимой блесны впайки- КлопИК 32мм в "Люксовом" исполнении. Как поставил её с утра, так весь день с ней и пробегал

-2

В первой же лунке после десяти минут раскачки клюнул бонус дня. Он в центре на фото. Клюнул почти у самой кромки льда

-3

Потом что-то большое клюнуло ещё. Но у самой кромки льда сход. Обидно. Вообще в этот день сходы были довольно частым явлением, причем сходы чего-то крупного. А если сход- собирай вещи, иди дальше.

В принципе, так весь день и прошёл. Приходишь на новую лунку, качаешь и ждёшь поклёвки. Они редкие, но как говорят меткие. Что-то ловишь, потом сход и переход на следующую дырку...

-4

Блесной играл у дна, у льда и в центре :) И какой то закономерности в поклёвках не заметил, т.к. клевало и там и тут. Откровенной мелочи нет, попадались более менее пищевые окушки... Но даже их я всё равно отпускал, оставив себе лишь восемь штучек.

От берега далеко не ходил, примерно 100-150 метров. Основной народ сидел дальше и душил "кошачью радость".

На этом всё, Ловите рыбу чем больше чем лучше :)

Ни Хвоста Ни Чешуи!

Другие рыбалки тут: