Найти в Дзене
Немного о разном

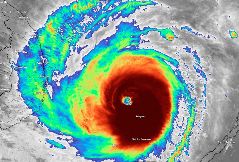
Что делается в эпицентре урагана?

Когда ветер дует со скоростью 120 км/ч, давление по оси воздушного столба падает очень быстро. Эта область низкого давления в центре называется эпицентром урагана. Иногда это явление могут назвать как "глаз" урагана.
Эпицентр может быть от 15 до 30 километров в ширину. Низкое давление в эпицентре служит причиной того, что морская вода легко всасывается в эпицентр и поднимается вверх.
В районах низкого давления часто проходят сильные ливни. Самые сильные дожди проливаются из туч вокруг эпицентра урагана. «Глаз» урагана можно представить как дыру в бублике. Ветры дуют вокруг эпицентра, а внутри него спокойно. Небо над ним может быть ясным, свободным от туч. Ветры там слабые, обычно менее 34 км/ч. Если вас настигнет ураган и вы попадаете в его эпицентр, сначала вы почувствуете сильный ветер, потом вас насквозь промочит дождь. Эпицентр урагана промчится, и настанет период спокойного, ясного неба. Потом опять будет дождь и сильный ветер, но в этот раз дующий в противоположном напра
Ураган - это ветер, закручивающийся в несколько спиралей со страшной скоростью.
Ураган - это ветер, закручивающийся в несколько спиралей со страшной скоростью.
-2

Когда ветер дует со скоростью 120 км/ч, давление по оси воздушного столба падает очень быстро. Эта область низкого давления в центре называется эпицентром урагана. Иногда это явление могут назвать как "глаз" урагана.

-3

Эпицентр может быть от 15 до 30 километров в ширину. Низкое давление в эпицентре служит причиной того, что морская вода легко всасывается в эпицентр и поднимается вверх.

-4

В районах низкого давления часто проходят сильные ливни. Самые сильные дожди проливаются из туч вокруг эпицентра урагана.

«Глаз» урагана можно представить как дыру в бублике. Ветры дуют вокруг эпицентра, а внутри него спокойно. Небо над ним может быть ясным, свободным от туч. Ветры там слабые, обычно менее 34 км/ч.

Если вас настигнет ураган и вы попадаете в его эпицентр, сначала вы почувствуете сильный ветер, потом вас насквозь промочит дождь. Эпицентр урагана промчится, и настанет период спокойного, ясного неба. Потом опять будет дождь и сильный ветер, но в этот раз дующий в противоположном направлении.