Найти в Дзене
dianthus_anya

Как избавиться от тли?

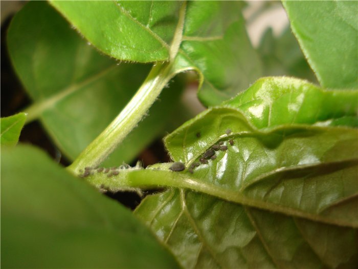
Всю зиму переживаешь о том, как чувствует себя любимый сад, не замёрзнет ли, не заболочены ли корни, всё ли проснётся весной. И вот, казалось бы, сад после зимы чувствует себя хорошо, все проснулись здоровыми и на раннецветущих кустарниках видно молодые соцветия и можно уже мечтать о ягодках и пышных красках! Как вдруг молодые листья сворачиваются, становятся липкими и засыхают. Бывает так? Тля- наверное, самая распространённая проблема всех садоводов и дачников. Даже если вы её не встречали у себя на участке и всю весну бдительно следили за её отсутствием, она обязательно окажется у соседей и найдёт вас, муравьи её приведут. И бывает опрыскиваешь сад, регулярно обрабатываешь, а её только больше становится. И как в таком случае быть? Ведь не всегда хочется кормить сад и себя химей. Давайте рассмотрим несколько хитростей. Ведь природа же умная и создала пару решений, о которых можно и нам вспомнить. Например можно отпугнуть её растениями, запах которых тля не любит. К таким растен

Всю зиму переживаешь о том, как чувствует себя любимый сад, не замёрзнет ли, не заболочены ли корни, всё ли проснётся весной. И вот, казалось бы, сад после зимы чувствует себя хорошо, все проснулись здоровыми и на раннецветущих кустарниках видно молодые соцветия и можно уже мечтать о ягодках и пышных красках! Как вдруг молодые листья сворачиваются, становятся липкими и засыхают. Бывает так?

Тля- наверное, самая распространённая проблема всех садоводов и дачников. Даже если вы её не встречали у себя на участке и всю весну бдительно следили за её отсутствием, она обязательно окажется у соседей и найдёт вас, муравьи её приведут. И бывает опрыскиваешь сад, регулярно обрабатываешь, а её только больше становится. И как в таком случае быть? Ведь не всегда хочется кормить сад и себя химей. Давайте рассмотрим несколько хитростей. Ведь природа же умная и создала пару решений, о которых можно и нам вспомнить.

Например можно отпугнуть её растениями, запах которых тля не любит.

К таким растениям относят:
Тагетесы
(они же бархатцы, но я предпочитаю не использовать народные названия). Это растение не требовательно ни к уходу, ни к почвам, ни к месту посадки. Конечно, лучше расти и развиваться оно будет на солнечном месте и в питательной рыхлой почве, но мы его рассматриваем для других целей. Это самое простое в уходе растение ещё потому, что его семян, по-моему, проще всего дождаться, собрать и хранить. Достаточно один раз его посеять (что тоже очень просто) и вырастить, и покупать его вам больше не потребуется. Так же оно одно из дешёвых и доступных в магазине (это для тех, кому не хочется ждать всходов и длительной вегетации).

Тагетес
Тагетес

Кориандр или кинза. Это медонос, который более требователен, любит полив, поражается клопом (не пугайтесь, он не так страшен, как тля), живёт на плодородных почвах и любит солнце. Это очень полезное, лекарственное растение, которое ещё используют в кулинарии. Так что завести такой однолетник тоже стоит, тем более раз он отпугивает тлю.

Кинза
Кинза

Лук и чеснок. Эти растения сажать проще простого: в рыхлую дренированную почву сажаем головку чеснока или луковицу и периодически поливаем и пропалываем. Кстати, для экономии времени и что бы не упустить момент, когда тля проснётся и напомнит о себе, чеснок можно посадить ещё осенью в тех регионах, в которых зима для этого подходит (Калининград, средняя полоса России). Таким образом, получится, что тля проснулась, а чеснок уже вместе с остальными растениями подрос и пахнет, что её и отпугнёт. Вот только чеснок положено в конце сезона выкапывать, а лук можно оставить на месте.

-4

Мята и фенхель (родственник укропа). Тоже потрясающе неприхотливые травянистые, которые главное не перелить и не пересушить. Интересно и удобно то, что мята замечательно себя чувствует под деревьями и в тени. Достаточно раз посеять и дальше остаётся только пропалывать. Она морозоустойчива и неприхотлива. А вот фенхель может вымерзать и любит питательные почвы.

фенхель
фенхель
мята
мята

Так же тля боится лаванду, базилик и ромашку далматскую. Все эти растения являются травянистыми многолетниками, кроме лаванды, которую считают полукустарником. Она теплолюбива, хотя во многих регионах в открытом грунте зимует прекрасно (например, у нас в Калининграде её используют в озеленении часто). Её нужно стричь, формируя куст, т.к. это растение имеет привычку опускать ветви на землю при достижении 3-х летнего возраста. К почвам не требовательна, хотя обитает на рыхлы дренированных почвах в диком виде чаще всего.

лаванда узколистная
лаванда узколистная

Ещё у тли есть насекомые-враги. Это журчалки, божьи коровки (особенно их личинки), хищные клопы, жужелицы, наездники, некоторые виды ос, златоглазки. Что бы весь этот список привлечь, посадите у себя на участке морковь, петрушку, укроп, а так же весь список растений описанных выше. Клоп, кстати, живёт на кинзе чаще всего.

Если вам понравилась статья, или вы с чем-то не согласны и нашли в ней какую-либо ошибку, буду рада вашим отзывам. Так же пишите свои методы борьбы с ней в комментарии. Благодарю.