Добавить в корзинуПозвонить
Найти в Дзене
Скамеечка

Как определить чего не хватает растениям по листьям (фото) и меры которые следует предпринять для устранения дефицита питания

Самые информативные части- растения- это листья, достаточно просто внимательно присмотреться к растениям для того чтобы понять причину, их недомогания. Это просто и доступно, тем более на дорогостоящие анализы грунта, не всегда есть возможность и время. При этом, для определения причины, стоит понимать, что дефицит, хорошо подвижных веществ, сначала проявляется на старых листьях, а плохоподвижных на молодых. Листья играют важную роль в жизни каждого растения, и по внешнему виду и размеру, нормальных темпах роста и оптимальном соотношении питательных веществ в почве, они расскажут своим здоровым видом. Если это не так, то вооружившись знаниями о симптомах, мы почти всегда способны понять, что стряслось, и помочь . Более подробно, как именно подкормить растения, рассмотрим ниже. Для начала, небольшая базовая информация, которая может быть полезна, для общего представления, о характере потребления элементов питания. Роль элементов питания в развитии растений Все питательн
Оглавление

Самые информативные части- растения- это листья, достаточно просто внимательно присмотреться к растениям для того чтобы понять причину, их недомогания. Это просто и доступно, тем более на дорогостоящие анализы грунта, не всегда есть возможность и время.

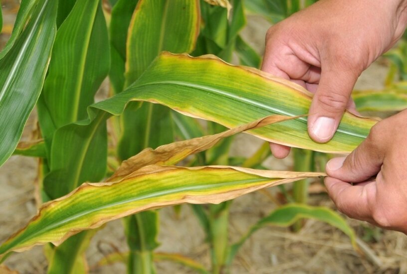
Определить симптомы голодания смогут помочь сами  растения
Определить симптомы голодания смогут помочь сами растения

При этом, для определения причины, стоит понимать, что дефицит, хорошо подвижных веществ, сначала проявляется на старых листьях, а плохоподвижных на молодых.

Листья играют важную роль в жизни каждого растения, и по внешнему виду и размеру, нормальных темпах роста и оптимальном соотношении питательных веществ в почве, они расскажут своим здоровым видом.

Если это не так, то вооружившись знаниями о симптомах, мы почти всегда способны понять, что стряслось, и помочь . Более подробно, как именно подкормить растения, рассмотрим ниже.

Для начала, небольшая базовая информация, которая может быть полезна, для общего представления, о характере потребления элементов питания.

Роль элементов питания в развитии растений

Все питательные элементы делятся на макро- и микроэлементы.

К макроэлементам относятся те, которые присутствуют в растениях в значительных количествах (начиная от сотых долей и до целых процентов) – это азот(N), фосфор(Р2О5), калий(К2О),кальций(Са), сера(S) и магний(Mg). Макроэлементы нужны растению в значительных количествах,

К микроэлементам относятся те, что содержатся в растениях в меньших количествах (от стотысячных до тысячных долей процента).К ним относятся – бор(В), медь(Cu), цинк(Zn), молибден(Мо), марганец(Mn), и др., но даже при столь малом содержании, микроэлементы оказывают значительное влияние на все жизненные процессы в растениях

Значение  элементов питания для полноценного развития растения
Значение элементов питания для полноценного развития растения

Значение минеральных элементов отражено в правилах Ю. Либиха

Все необходимые для растения вещества, РАВНОЗНАЧНЫЕ, и исключение каждого из них, приводит к гибели растительного организма.
Ни один из необходимых элементов, не может быть заменен другим, даже близким по химическим свойствам, например, избыток калия, не компенсирует недостаток фосфора
Каждый необходимый элемент, имеет свое специфическое физиологическое значение, к примеру, недостаточная освещенность, не может быть заменена повышенной температурой

Кроме этого, важно учитывать, что полноценное питание, зависит еще и от факторов окружающей среды, а именно:

ТЕМПЕРАТУРЫ

На содержание микроэлементов оказывают влияние погодные условия, особенно чересчур низкая температура.

Оптимальной для этого является температура + 25 — + 30 °С. Если температура поднимается выше + 35 °С либо падает ниже + 10 — + 12 °С, поглощение питательных веществ растениями замедляется, а потом и вовсе приостанавливается до наступления благоприятных условий.

ВЛАЖНОСТИ

Растворимость микроэлементов в почвах имеет большое значение для их биологической доступности и способности к перемещению. При отсутствии влаги в почве, даже плодородная, хорошо удобренная земля, не сможет обеспечить растениям, нужное им питание.

Обеспеченность почвы микроэлементами меняется в течение вегетационного периода, а также зависит от интенсивности осадков, испарения влаги из почвы и т.д. В зависимости от этих факторов, концентрации микроэлементов в почвенных растворах могут изменяться более чем в 10 раз.

Перенос растворенных элементов в почве, (вымывание). В зависимости от климата, этот процесс имеет свои особенности.

Так, в прохладном влажном климате вымывание микроэлементов вниз по почве проявляется сильнее, чем их накопление.
А
в теплом сухом климате более характерно восходящее движение микроэлементов.

ПОЧВЫ

Тяжелые почвы (как щелочные, так и нейтральные) хорошо удерживают микроэлементы и поэтому медленно поставляют их растениям, что может приводить к нехватке некоторых элементов.

Легкие почвы, наоборот, могут быть источником легкодоступных микроэлементов, но при этом их запас быстрее истощается.

КИСЛОТНОСТИ

Состояние и доступность микроэлементов в почве зависит от ее кислотности. Слишком высокая или, наоборот, низкая кислотность, излишнее содержание песка, торфа, извести — всё это приводит к недостатку какого-либо минерального компонента.

Так, цинк, марганец, медь, железо, кобальт, бор легко выщелачиваются в кислых почвах. Но если pH почвы поднимается выше 7, эти элементы образуют довольно устойчивые соединения.

Молибден и селен, наоборот, мобилизуются в щелочных почвах, а в кислых становятся нерастворимыми.

ОСВЕЩЕННОСТИ

В темноте, поглощение минеральных солей, замедляется, и постепенно прекращается. А под влиянием освещения, ускоряется.

ПЛОДОРОДИЯ ПОЧВЫ

Плодородие почвы ресурс возобновляемый, и в природе, даже без должного ухода, все использованные растениями, необходимые для них элементы питания, возвращаются снова, через опадание листьев, и перегнивание их в почве.

А состав почвы, напрямую влияет на состояние растений. Ведь именно в почве находятся необходимые питательные вещества.

Чаще всего растение испытывает дефицит отдельных микроэлементов в случае, когда состав почвы не сбалансирован, или почва истощена.

НОРМА-это минимально необходимое количество удобрений, которые обеспечивают полностью потребность растения в питании

Переизбыток растениям тоже вреден. Лучше недоудобрить, а потом по мере надобности, добавлять, минеральное питание. Здесь главный принцип, не навреди, растениям, земле и людям.

Макроэлементы

АЗОТ

Роль  азота   в плодородии почвы
Роль азота в плодородии почвы

В природе, присутствует в свободном и связанном состоянии, но только 1 % азота почвы находится в легко усваиваемых растениями минеральных формах.

В связанном состоянии азот встречается повсеместно: в воздухе, водах рек, океанов и морей. Как например, крупные залежи натриевой селитры NaNO3 находятся в Чили.

Симптомы  азотного голодания.
Симптомы азотного голодания.

Чем лечить?

Для того чтобы компенсировать недостаток азота, с помощью минерального удобрения, возьмите аммиачную селитру. Это удобрение медленного действия, что гарантирует, длительную доступность для растений. Что не маловажно, его можно использовать по холодной земле.

Нормы внесения:
20-30 грамм, на 1 м2 в сухом виде, удобрение заделывается в почву, на 15-20 см, перемешать с землей.
Если нет, такой возможности, то развести это же количество в 10 литрах воды, и подкормить растения
пропорции на 1 куст, 8-10 грамм на 2,5 - 3 литра воды.

Или же, органику - торф, навоз, птичий помет, настой крапивы, так же богаты азотом.

Снизить количество азота в грунте намного сложнее, чем не допускать его избытка Жирующие растения активно наращивают лишь зеленую массу, оставляя цветение и завязывание плодов на потом. Плоды не успевают вызреть полностью, растения подвергаются грибковым заболеваниям, теряя к ним иммунитет

Кроме того, азот растению биологически необходим только на период роста, на период плодоношения, оно снижает нормы его потребления. Поэтому рекомендуется, вносить азотное удобрение, через 5-6 дней после цветения. Вторую подкормку, при необходимости сделать еще раз, через месяц.

ФОСФОР

Роль фосфора в питании растений

Фосфор- один из  важных элементов питания
Фосфор- один из важных элементов питания

В природе, часть органического фосфора присутствует в составе фосфатидов, нуклеиновых кислот и прочих органических соединений почвы, в составе гумуса.

Источником сырья для производства фосфоритных удобрений служат природные фосфорные руды.

Различные почвы содержат неодинаковое количество фосфора – от 0,1 % в бедных песчаных до 0,20 % в мощных высоко гумусных почвах.

Симптомы недостатка фосфора
Симптомы недостатка фосфора

Недостаток фосфора самый узнаваемый, и начинается с небольшой синевы, который перетекает в побурение листвы. Фиолетовый оттенок может быть и на стволах.

Эти признаки чаще всего появляются и при понижении температуры воздуха и почвы – при похолодании растения хуже усваивают фосфор.

Чем кормить? Суперфосфатом

содержит: фосфор (26%) азот (6%), кальций (17%), серу (10%) и магний (0,5%). Прекрасно усваивается растениями.

Когда и сколько вносить суперфосфат

жидкая подкормка.
25-30 г на 1 кв. м заливаем 2 литрах горячей воды (в холодной оно не растворится) до полного растворения гранул.
Или, приготовим концентрат жидкой подкормки : 600г суперфосфата заливаем 3 л горячей воды, растворяем полностью. после, разводим из расчета 150 мл на 10л воды.
Поливают растения под корень из расчета 1 л на куст или на 1 погонный метр рядка. Из концентрата получается 200 литров жидкой подкормки. Туда же можно внести 0,5 банки золы, и 20 мл любого биогумуса
Для традиционного внесения в сухом виде суперфосфата
осенью, под перекопку
простой 3–4 ст. ложки (40–60 г) на 1 м2
двойной суперфосфат – 1,5–2 ст. ложки (20–30 г) на 1 м2,
для истощенных и очень бедных почв, норму можно увеличить вдвое

Фосфорные удобрения увеличивают урожай, улучшают качество, повышают зимостойкость, ускоряют созревание плодов. Поэтому такой подкормкой полезно подкормить цветущие растения, так как фосфор ответственен за обильное цветение.

КАЛИЙ

Калий - играет большую роль, в жизни растений.
Калий - играет большую роль, в жизни растений.

Распространен в природе достаточно широко. Встречается только в виде соединений. Чем больше глинистых частиц в почве, тем больше в ней калийных соединений.

Запасов калия в почве гораздо больше, чем запасов азота и фосфора.

Калий присутствует почти во всех тканях и органах растений, часто в неодинаковых количествах. В основном он скапливается в вегетативных частях растений, в соломе, в ботве. Поэтому, так важно, оставлять прополотые сорняки сгнивать на грядке. В природе, восполнение питательных веществ, идет именно так.

Богаты содержанием калия молодые растения, в которых все клетки энергично делятся. Максимальное накопление калия в растении совпадает с периодом цветения. Больше всего калия содержит пыльца растений

Симптомы калийного дефицита
Симптомы калийного дефицита

При калийном голодании, листопад может начатся даже летом. Чтобы восполнить подойдет калий сернокислый, или калийная селитра

Для корневой подкормки
Раствор селитры калиевой 2%-ой концентрации
20 г удобрения, растворить в 10 литрах воды оптимальная температура — 20 градусов С. Воду лучше брать отстоянную без примесей хлора, и хорошо пролить растения.
Внекорневая подкормка
Норма для обработки листьев 8-10 грамм на 10 литров воды, опрыскать растения.

Также много калия содержиться в древесной золе, ей можно посыпать грунт под растениями, или же вности в лунки для посадки. Также ею можно опудривать сами растения. В древесной золе содержится до 35% калия, и так же другие важнейшие для растений микроэлементы.

Кальций

Кальций - химический элемент необходимый для  жизнедеятельности растений.
Кальций - химический элемент необходимый для жизнедеятельности растений.

Кальций входит в число самых распространенных элементов в природе. Встречается в виде отложений мела, известняков, мрамора (природная разновидность карбоната кальция CaCO3). В большом количестве встречаются залежи гипса (CaSO4 х 2H2O), фосфорита (Ca3(PO4)2

Соли кальция почти всегда присутствуют в природной воде. Природная вода с большим количеством солей кальция или магния называется жесткой. При малом содержании данных солей или их отсутствии воду называют мягкой.

Как правило, почвы в достаточной мере обеспечены кальцием. Потери кальция из почвы происходят в результате вымывания его осадками.

Источник пополнения кальция в почве – известковые удобрения. Они делятся на три группы: Твердые и мягкие известковые породы и отходы промышленности с повышенным содержанием извести.

Известковые удобрения применяются не только для обеспечения почвы и растений кальцием. Главная цель их использования – известкование почв.

Известкование почв -это прием химической мелиорации. Он направлен на нейтрализацию избыточной кислотности почв, на улучшение ее агрофизических, агрохимических и биологических свойств, снабжение растений магнием и кальцием

Признаки недостатка кальция в почве
Признаки недостатка кальция в почве

Итак, если кальций труднодоступен для растений, то один из способов его восполнения- кальциевая селитра

в сухом виде 10 гр кальциевой селитры, внести в прикорневую зону комнатного растения
раствор для опрыскивания: 2 грамма кальциевой селитры, и 1 литра воды. И один раз в неделю, опрыкиваем растения, до устранения симптомов дефицита.
корневая подкормка 1 чайная ложка, на 1 литр воды, обильно поливаем прикорневую зону

Отличительная черта Кальциевой селитры в том, что она не приводит к окислению почвы, нейтрализует, излишки металлов, и имеет длительное действие, и после прекращения подкормок.

Магний

Роль магния для растений
Роль магния для растений
  • Увеличивается содержание сахара, крахмала, витамина С, белка.
  • Отмечается улучшение качества семян, увеличенная всхожесть
  • Усиление устойчивости выращиваемых растений к неблагоприятным условиям внешней среды и грибковым заболеваниям

Магний распространен в природе повсеместно. В больших количествах встречается карбонат магния, образует магнезит MgCO3 и доломит MgCO3 • CaCO3. В почве магний присутствует в виде сульфатов, карбонатов, хлоридов.

Основной источник для удобрений – природные соединения данного элемента. Они представляют собой щелочные, сильно действующие формы, обладающие высокой нейтрализующей способностью и превосходящие действие извести.

Магнивое голодание у растений, признаки.
Магнивое голодание у растений, признаки.
Вариант восполнения недостатка магния калийно-магниевым удобрением калимагнезией
Дозировка 5 грамм на 2 литра воды, опрыскивание всего растения и полив прикорневой зоны
или другая дозировка, если поливать требуется больше, 20 грамм в 10 литрах воды

Микроэлементы

Железо

Значение железа для растений.
Значение железа для растений.

Нехватка железа в почве, а значит и в питании растения — одно из самых распространенных заболеваний, получивших название железистый хлороз.

В почвах железо присутствует в основном в виде оксидов и гидроксидов. В богатых органикой горизонтах железо присутствует в форме хелатов (легкодоступная для растений)

Симптомы  нехватки в почве железа
Симптомы нехватки в почве железа

Для того, чтобы восполнить недостаток железа в почве, сделаем раствор, близкий к хелату железа

В 1 л мягкой теплой воды растворить 8 г лимонной кислоты, добавить 5 г железного купороса. К полученной смеси долить еще 2 л воды. Получается оранжевый раствор, содержащий 0,5% двухвалентного сульфата железа. Использовать приготовленное средство нужно сразу, опрыскать растения, и обильно пролить почву под ним
для комнатных растений можно сыпать несколько гранул на поверхность почвы в горшке и при поливе микроэлемент будет поступать к корням.

Железный купорос мешают с лимонной кислотой, для того, чтобы купорос не окислился до трехвалентного железа и не утратил свои свойства. В растение железо поступает в двухвалентной форме.

Медь

Значение  меди в плодородии почвы
Значение меди в плодородии почвы

Содержание меди в почве от 1 до 100 мг/кг, но важно не сколько содержание ее в почве, но и форма нахождения и степень доступности растениям.

Симптомы недостатка меди
Симптомы недостатка меди

Медные удобрения рекомендуется применять при выявлении потребности растений в меди.

Использовать будем, сернокислую медь (медный купорос )

Подкармливают водным раствором 2 г на 10 л воды (некорневая подкормка) опрыскать растение, остатки можно вылить под корни.
Удобряют чистым сульфатом меди почву (1 г/кв. м) каждые 5 лет, или по необходимости (растирают вещество и перемешивают с землёй).

Такая обработка, имеет долговременный эффект, концентрация медьсодержащих соединений в грунте, остается достаточно высокой довольно долго. Поэтому, если симптомы нехватки меди больше не появляются, повторять обработку не стоит. Потому что, при многократных внесениях, существует риск, накопления меди в количествах токсичных для растений.

Цинк

Значение цинка для растений
Значение цинка для растений

Повышение содержания цинка в почве почти всегда связано с увеличением в ней органики, что говорит о биологическом накоплении этого элемента. Но тем не менее, в маштабах мира, около трети населения планеты страдает от недостатка этого элемента в питании. Поэтому, дефицит цинка считается наиболее распространенным среди микроэлементов.

Концентрация микроэлемента в растениях составляет 1 – 80 мг/кг сухой массы. Например, яблоки содержат 1,2 мг цинка, а листья салата – до 73 мг/кг. Поэтому, восполнение этого элемента в почве, имеет важное значение, для вкусных, здоровых витаминов с грядки.

 Дефицит  цинка.
Дефицит цинка.

Для восполнения дефицита, берем, сульфат цинка

для этого делаем раствор Цинка сернокислого.
в соотношении 3 г Сульфата Цинка на 10 л воды растворяем и обильно поливаем растение.

Признаки позеленения листьев часто можно наблюдать через 5-10 дней после внесения.

Для восполнения запасов цинка, для большинства культур внекорневую подкормку проводят в период бутонизации – началу цветения.

Бор

Значение  бора для растений
Значение бора для растений

Содержится во всех почвах, горных породах, воде морей, рек, озер, и входит в состав растительных и животных организмов. Относится к числу рассеянных микроэлементов и в небольших количествах встречается почти повсеместно. В природе встречается в составе буры или борной кислоты, а также борных руд

Бор- является весьма подвижным соединением, фиксируется слабо и может вымываться осадками.

Созданию дефицита бора в растениях способствует как недостаток влаги, так и обилие осадков (вымывание) Поэтому почвы в районах с большим увлажнением бедны подвижными формами бора.

Недостаток бора симптомы
Недостаток бора симптомы

Наилучший показатель усваиваемости бора растениями, нуждающимися в этом микроэлементе, достигается при внекорневых подкормках с использованием бора, входящего в состав органических соединений.

Для восполнения, можем воспользоватья борной кислотой, или борофоской

Внекорневая подкормка 1 ст. л. Борофоски на 1 литр горячей воды растворить, и потом разбавить до 10 л, и опрыскать растения, остатками можно пролить под корень.
Корневая подкормка : 1 гр борной кислоты на 1 литр горячей воды.
* В холодной воде микроэлементы не растворяются,

Желательно, почву перед подкормкой хорошо пролить.

Марганец

Роль марганца в питании растений.
Роль марганца в питании растений.

Марганцевая недостаточность обостряется при низких температурах и высокой влажности.

Нуждаются в марганце даже черноземы и подзолистые грунты, хотя данные почвы богаты этим микроэлементом. Тем не менее, марганец здесь находится в виде труднорастворимых и тяжело усваиваемых растениями оксидов.

На этих почвах марганец вводится осторожно, только при признаках марганцевого голодания. Дефицит микроэлемента чаще всего наблюдается на грунтах с высокими показателями кислотности

Признаки недостатка марганца в почве.
Признаки недостатка марганца в почве.

Если вы установили, что листья ваших растений, указывают на недостаток марганца, можно восполнить его запасы, с помощью сульфата марганца – и еще одно его название - марганцевый купорос. Получают вещество из двуокиси марганца природного происхождения

Для этого нам потребуется концентрация не выше 0,2 % . Здесь все просто, растворяем 2 грамма на 1 литр, при непрерывном перемешивании, и поливаем, методом дождевания по листу.
Минеральная добавка лучше всего растворяется в воде 20°C – 25°C. При поливе и опрыскивании следует поддерживать такую же температуру раствора, чтобы марганец лучше усваивался растениями.

Этот вид удобрения, хорошо задерживается в почве, не вымывается осадками, и имеет пролонгированное действие. А марганец, в допустимых концентрациях, очень хорошо влияет на сахаристость корнеплодов и ягод, и увеличивает их лежкость при хранении.

Молибден

Микроэлемент Молибден
Микроэлемент Молибден

Наиболее бедны молибденом песчаные и супесчаные почвы. В глинистых и суглинистых, его как правило, больше. Плодородные почвы отличаются большим содержанием данного элемента.

Потребность растений в молибдене связана с обеспечением их азотом, чем азотных удобрений больше, тем сильнее возрастает потребность растений в молибдене.

В кислых грунтах он растворяется плохо, но с увеличением щелочности почвы, его подвижность повышается. Поэтому на кислых почвах может возникнуть молибденовое голодание, а на увлажненных щелочных он хорошо доступен растениям.

И поскольку часть молибдена в почве содержится в органических соединениях, растения могут не испытывать дефицита этого элемента даже на кислых грунтах, если они обогащены органическими веществами.

Основные симптомы, что молибдена в почве не достаточно
Основные симптомы, что молибдена в почве не достаточно

Если все же, вас беспокоит пожелтение листвы, и есть небольшие вкрапления по площади листовой пластины, которые заметны на фотографии при увеличении, то стоит подкормить комплексным удобрением гумат + 7 йод.

Разводим 2 грамма на 10 литров воды, настаиваем после чего опрыскиваем растение по листу, остатками проливаем корни.
Удобрение очень концентрированное, поэтому, можно взвесить на кухонных весах, или из примерного расчета - 1 грамм на кончике ножа. В идеале, должен получится настой цвета разбавленного чая.

  +7 микроэлементов присутствуют в форме хелатных соединений, и очень быстро усваиваются растениями, поэтому результат будет заметен уже через 7-10 дней. А йод- позволяет уберечь культуры от грибковых инфекций и других патологий, что можно использовать в качестве профилактики.

Компоненты подкормки не накапливаются в почве, поэтому обработку можно проводить регулярно, вне зависимости от симптомов, тем более у удобрения натуральный состав и обедненные почвы, он улучшает.

Сера

Сера роль в питании растений
Сера роль в питании растений

Важным источником обогащения почвы этим элементом является сера, содержащаяся в атмосфере. Основная часть серы адсорбируется почвой непосредственно из атмосферы в виде S02, а незначительное количество поступает с атмосферными осадками, в виде снега, дождя.

Минеральная форма серы в почве представлена сульфатами и сульфидами кальция, магния

Почвы с низким содержанием органических веществ больше нуждаются в сульфатных удобрениях, чем высокогумусные. Сера  становится доступной растениям при разложении органических веществ и образовании минеральных соединений. Это тот самый круговорот веществ в природе

Растения перехватывают минеральную серу и возвращают в верхние слои почвы снова в виде органических веществ.

Признаки недостатка серы в почве.
Признаки недостатка серы в почве.

Положительное действие серных удобрений наиболее эффективно при повышенных нормах азота. При недостатке серы задерживается синтез белков в растениях, накапливается азот в небелковой форме или в форме нитратов.

Чтобы восполнить, можно воспользоваться любым сульфатом. Это все комплексные удобрения содержащие серу в том или другом соотношении.
Сульфат калия 1-2 грамма на литр, для корневой подкормки.

В заключение, хотелось бы сказать, что многие проблемы, с растениями, происходят при нарушении природного баланса. И конечно же, комплекс мер, поможет его восстановить.

Когда растение хилое, и умирает на глазах, и не понятно, от чего это происходит, очень хочется ему помочь. Надеюсь, что вы теперь вооружены, информацией по диагностике, мерам профилактики и лечения своих зеленых питомцев.

Ставьте лайки, подписывайтесь, задавайте вопросы, комментируйте.

Рада быть вам полезной.