Добавить в корзинуПозвонить
Найти в Дзене
Обо всём понемногу

Как использовать борную кислоту для подкормки помидоров

Бор – важный микроэлемент в жизни растений, а борная кислота – самая доступная из его соединений, которая широко используется в различных удобрениях садоводами и огородниками. Применяют ее для разных целей: для стимуляции проращивания семян, для более пышного цветения растений, а также для повышения урожая (замечено, что воздействие кислоты повышает его на 20%). Прочитав запись, вы узнаете, для чего используют внекорневую подкормку томатов борной кислотой.
Для выращивания помидор не нужно затрачивать много усилий и затрат. Тем не менее, растение нуждается в подкормке – это основное условие получения большого количества сочных плодов. Существуют различные варианты помощи, но использование борного раствора- наиболее рациональное из всех.  Микроудобрение выполняет такие функции: питание завязей растения; насыщение плодов сахаром; уберегает от паразитов и различных болезней.
Подкормки бывают двух типов: корневые – полив удобрений под корень растения. Основной метод поставки полезных ве
Оглавление

Бор – важный микроэлемент в жизни растений, а борная кислота – самая доступная из его соединений, которая широко используется в различных удобрениях садоводами и огородниками. Применяют ее для разных целей: для стимуляции проращивания семян, для более пышного цветения растений, а также для повышения урожая (замечено, что воздействие кислоты повышает его на 20%). Прочитав запись, вы узнаете, для чего используют внекорневую подкормку томатов борной кислотой.

Для выращивания помидор не нужно затрачивать много усилий и затрат. Тем не менее, растение нуждается в подкормке – это основное условие получения большого количества сочных плодов. Существуют различные варианты помощи, но использование борного раствора- наиболее рациональное из всех.  Микроудобрение выполняет такие функции: питание завязей растения; насыщение плодов сахаром; уберегает от паразитов и различных болезней.

Подкормки бывают двух типов: корневые – полив удобрений под корень растения. Основной метод поставки полезных веществ; не корневые- растение получает вещества непосредственно через листья. Дополнительный метод поставки, поступает в 5-8 раз быстрее, чем через почву. Результат оказывается уже через пару дней после проведенной процедуры, а иногда и через пару часов.

Рекомендуют проводить внекорневую подкормку томатов борной кислотой в ситуациях, когда необходимо ускорить завязь и созревание плодов. Этот способ также применяется в борьбе с фитофторой – врагом всех пасленовых.

Грамотные огородники знают, что работать с кислотой нужно аккуратно. Ведь навредить растению очень легко! Особое внимание стоит уделить тем растениям, что растут на балконах многоэтажек, а не на открытой земле, как их собратья. Такие «одомашненные» растения мало получают солнечной энергии.

Признаки нехватки бора

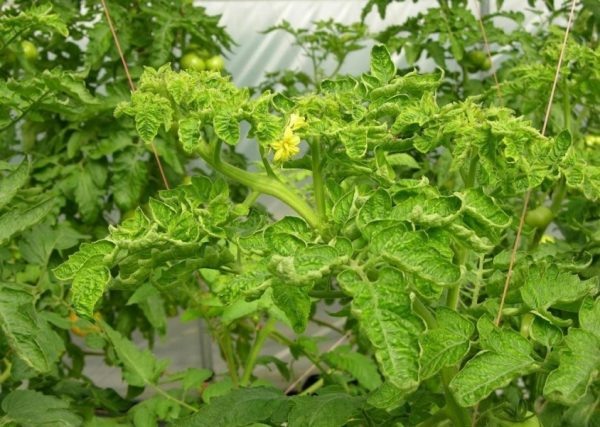
Итак, бор регулирует важнейшие процессы в жизни растения (опыление, оплодотворение, обмен углеводами и белками), а также формирует иммунитет к болезням.

Как же нам узнать о его нехватке? Если куст помидора ощущает нехватку вещества, это отражается, прежде всего, на его листьях. Молодые листья у верхушки теряют нормальную окраску у своего основания, но верхушка еще некоторое время остается зеленой. Такие пораженные ткани обычно быстро распадаются. Верхние листья также отличаются нездоровой светло-зеленой окраской, их скручивает от верхушки к основанию. Жилки пораженных листьев приобретают черную или коричневую окраску. Если попытаться согнуть такой листок- он тут же поломается. Стебель томата также реагирует на недостаток элемента- точка его роста чернеет. Начинают расти молодые листья из нижней части стебля, но их черешки становятся ломкими. На плодах формируются бурые пятна отмершей ткани. Все эти признаки говорят о разной степени нехватки кислоты, для опытного огородника это сигнал к действию: наступила пора для подкормки борным раствором.

-2

Как и когда вносить кислоту

Существует несколько тактик применения вещества. Для начала рассмотрим способ, который применяют еще до начала роста растения, задолго до посадки. Он проходит в два этапа: замачиваем борной кислотой семена на сутки (пропорцию можно скорректировать по данным на упаковке); дублируем первое действие, но накануне посева. Борная кислота также помещается в лунки для высадки. Внекорневой метод применяется непосредственно к растению с образовавшимися плодами томата.

В зависимости от цели обработки используют различные пропорции:

  • Чтобы предотвратить осыпание завязей, 1г борной кислоты растворяют в 1л горячей воды. После остывания раствора помидоры опрыскивают пульверизатором.
  • Для борьбы с фитофторозом на ведро теплой воды добавляют 1 чайную ложку порошка и обрабатывают растения. Для достижения лучшего результата за неделю до этого рекомендуется опрыскать томаты слабым раствором марганцевокислого калия, а через неделю после обработки бором – слабым раствором йода.
-3

Опрыскиваем мелким распылителем с уже остывшим раствором. Внимание уделяем листьям, цветам, плодам. На молодые растения обычно расходуется 10 мл жидкости на каждые куст. Желательно процедуру опрыскивания раствором борной кислоты проводить во время массового цветения томатов. По мере роста растения, дозу стоит увеличить в 1,5 раза.


Опрыскивание томатов необходимо проводить исключительно в утренние, вечерние часы или в пасмурную погоду, чтобы избежать попадания прямых солнечных лучей в период обработки, в противном случае растения получают ожоги и могут засохнуть.
-4

Обработка посадок помидоров борной кислотой является самым эффективным и дешевым способом получения здорового и обильного урожая. Главное – не переусердствовать, строго соблюдать пропорции, и отменный результат порадует вас.