Добавить в корзинуПозвонить
Найти в Дзене
ServerNews

Метеорологи США получат два 12-Пфлопс суперкомпьютера с AMD EPYC Rome

Национальное управление океанических и атмосферных исследований США (National Oceanic and Atmospheric Administration, NOAA), которое занимается метеорологическими и геодезическими исследованиями и прогнозами, объявило о планах построить два новых суперкомпьютера для прогнозирования погоды на базе процессоров AMD EPYC. Сообщается, что суперкомпьютеры вместе будут располагать 2560 двухпроцессорными узлами Cray, в которых будут использоваться 64-ядерные процессоры AMD EPYC 7742 поколения Rome. То есть в результате две системы будут располагать 327 680 ядрами с архитектурой Zen 2. Между собой кластеры будет соединяться интерконнектом Cray Slingshot. Каждый из суперкомпьютеров будут обладать 1,3 Пбайт оперативной памяти, а для хранения данных будут использоваться системы Cray ClusterStor объёмом 26 Пбайт для каждого суперкопьютера. Отметим, что система хранения данных будет состоять из твердотельных накопителей, на которые придётся 614 Тбайт, и двух систем из жёстких дисков по 12,5 Пбайт ка

Национальное управление океанических и атмосферных исследований США (National Oceanic and Atmospheric Administration, NOAA), которое занимается метеорологическими и геодезическими исследованиями и прогнозами, объявило о планах построить два новых суперкомпьютера для прогнозирования погоды на базе процессоров AMD EPYC.

Сообщается, что суперкомпьютеры вместе будут располагать 2560 двухпроцессорными узлами Cray, в которых будут использоваться 64-ядерные процессоры AMD EPYC 7742 поколения Rome.

То есть в результате две системы будут располагать 327 680 ядрами с архитектурой Zen 2. Между собой кластеры будет соединяться интерконнектом Cray Slingshot.

Каждый из суперкомпьютеров будут обладать 1,3 Пбайт оперативной памяти, а для хранения данных будут использоваться системы Cray ClusterStor объёмом 26 Пбайт для каждого суперкопьютера. Отметим, что система хранения данных будет состоять из твердотельных накопителей, на которые придётся 614 Тбайт, и двух систем из жёстких дисков по 12,5 Пбайт каждая.

-2

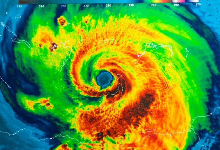
Пиковая теоретическая производительность каждого из суперкомпьютеров составит 12 Пфлопс. Эти вычислительные ресурсы будут направлены на отслеживание и предсказывание ураганов и температурных аномалий, а также на другие погодные исследования и прогнозы. Заработают новые системы только к 2022 году и имеют все шансы попасть в рейтинг TOP500, хотя и вряд ли окажутся в лидерах. В последней редакции рейтинга они заняли бы примерно 25 место.

Новые суперкомпьютеры заменят восемь имеющихся систем NOAA. В итоге, после установки новых суперкомпьютеров на AMD общая максимальная теоретическая производительность всех вычислительных систем NOAA составит примерно 40 Пфлопс. 

На другом берегу Атлантического океана метеорологам тоже живётся неплохо. В ECMWF будет установлен, как утверждается, самый мощный в мире метеорологический суперкомпьютер производства Atos на базе AMD EPYC 7H12. Великобритания выделила $1,6 млрд на машину для аналогичных задач. Она, конечно, тоже названа самой мощной в мире.