Найти в Дзене
Насекомых.Net

Какие существуют виды тараканов?

Тараканы – это шустрые, пронырливые и весьма живучие насекомые, стремящиеся захватить огромные территории по всему миру. Однако привычные всем прусаки – далеко не единственные представители этого семейства. На сегодняшний день известно более 4600 видов насекомых, среди которых есть достаточно интересные и экзотические экземпляры. Но пока мы остановимся на более простых и несколько привычных современному населению паразитах, именуемых, как домашние тараканы. Какие существуют виды тараканов? Читать далее...
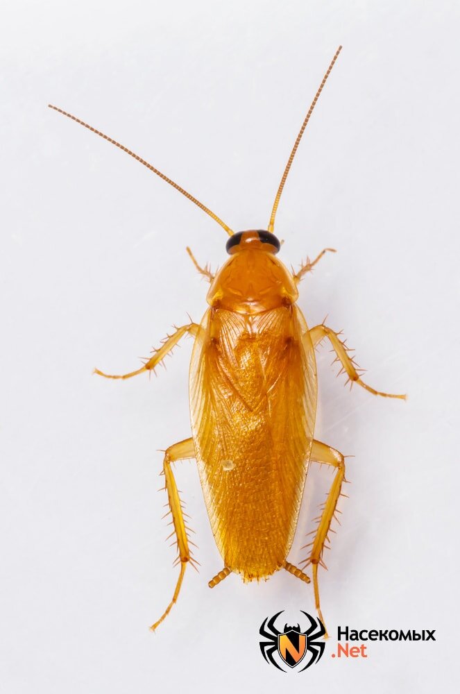
Рыжий таракан
Рыжий таракан

Тараканы – это шустрые, пронырливые и весьма живучие насекомые, стремящиеся захватить огромные территории по всему миру. Однако привычные всем прусаки – далеко не единственные представители этого семейства. На сегодняшний день известно более 4600 видов насекомых, среди которых есть достаточно интересные и экзотические экземпляры. Но пока мы остановимся на более простых и несколько привычных современному населению паразитах, именуемых, как домашние тараканы.

Какие существуют виды тараканов? Читать далее...