Добавить в корзинуПозвонить
Найти в Дзене
Чудогрядка.рф

Мальва кудрявая: идеальная начинка для пирожков

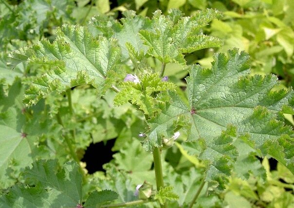
  От мальвы мы привыкли ждать красивых крупных цветов. Но этот вид отличается от привычных нам шток-роз. Цветочки у него мелкие и невзрачные. Но зато листья съедобные! Они имеют приятный, слегка сладковатый вкус. Хороши в салатах, причем как в сыром, так и вареном виде. Их можно добавлять суп, щи, ботвинью или окрошку. Использовать вместо капусты для приготовления голубцов. А еще из них получается прекрасная начинка для пирожков и вареников.  Родина этого чудо-овоща Китай. Но у нас в России кудрявая мальва растет без проблем. Причем очень быстро – к середине лета куст достигает высоты 2 м с крупными (с тарелку) волнистыми листьями с бахромой по краю. Выглядит очень эффектно!  Собирать листочки можно в течение всего лета. Где купить семена  Купить семена мальвы кудрявой можно в нашем интернет-магазине чудогрядка.рф (http://chudogryadka.ru/) – просто перейдите по ссылке, чтобы оформить заказ.  Доставка почтой по России – бесплатная!

 

От мальвы мы привыкли ждать красивых крупных цветов. Но этот вид отличается от привычных нам шток-роз. Цветочки у него мелкие и невзрачные. Но зато листья съедобные! Они имеют приятный, слегка сладковатый вкус. Хороши в салатах, причем как в сыром, так и вареном виде. Их можно добавлять суп, щи, ботвинью или окрошку. Использовать вместо капусты для приготовления голубцов. А еще из них получается прекрасная начинка для пирожков и вареников. 

Родина этого чудо-овоща Китай. Но у нас в России кудрявая мальва растет без проблем. Причем очень быстро – к середине лета куст достигает высоты 2 м с крупными (с тарелку) волнистыми листьями с бахромой по краю. Выглядит очень эффектно! 

Собирать листочки можно в течение всего лета.

Где купить семена 

Купить семена мальвы кудрявой можно в нашем интернет-магазине чудогрядка.рф (http://chudogryadka.ru/) – просто перейдите по ссылке, чтобы оформить заказ. 

Доставка почтой по России – бесплатная!