Добавить в корзинуПозвонить
Найти в Дзене
Приключения натуралиста

Линь: 6 особенностей из жизни слизкой пресноводной рыбы

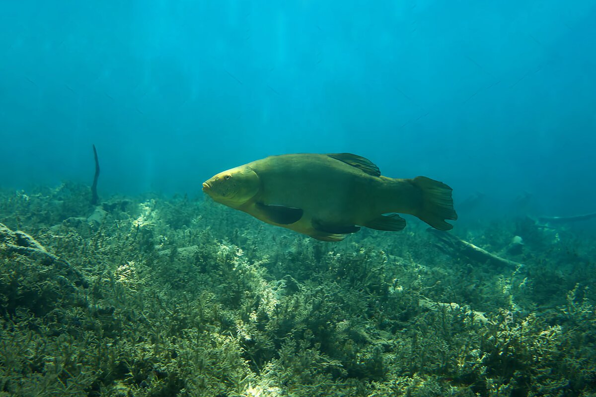
Представителей этого рода можно смело именовать воплощением осторожности. Даже мелкий линь таит в себе бездну загадок, не говоря о крупны экземплярях. Зеленоватая чешуя будто намекает нам на иноземное происхождение рыбёхи. Линь, кстати, распространён практически по всей планете, но является уникальным в своём роде,ведь он не образует специфических подвидов. Чем ещё уникальна эта рыба? Если спросить любого заправского рыбака, что он может сказать о лине, то первой выданной ассоциацией будет — слизь! Много слизи! Очень много слизи. Но как только скрытного «ихтиандра» достают из водоёма, слизь начинает усыхать. Выглядит это, как ускоренное высыхание зубной пасты. Сначала скукоживается, трескается, наконец — отваливается. Может быть этот момент и стал причиной для такого названия рыбки? Эту рыбу весь мир признаёт пацифистом. Ест линь исключительно зоопланктон, да водоросли. Но при этом наш герой старается вообще не показываться из зарослей водорослей, ряски и кувшинок. По большому счёту, е
Оглавление

Представителей этого рода можно смело именовать воплощением осторожности. Даже мелкий линь таит в себе бездну загадок, не говоря о крупны экземплярях. Зеленоватая чешуя будто намекает нам на иноземное происхождение рыбёхи. Линь, кстати, распространён практически по всей планете, но является уникальным в своём роде,ведь он не образует специфических подвидов. Чем ещё уникальна эта рыба?

6. Своеобразная линька

Если спросить любого заправского рыбака, что он может сказать о лине, то первой выданной ассоциацией будет — слизь! Много слизи! Очень много слизи. Но как только скрытного «ихтиандра» достают из водоёма, слизь начинает усыхать. Выглядит это, как ускоренное высыхание зубной пасты. Сначала скукоживается, трескается, наконец — отваливается. Может быть этот момент и стал причиной для такого названия рыбки?

3. «Тайный пацифист»

Эту рыбу весь мир признаёт пацифистом. Ест линь исключительно зоопланктон, да водоросли. Но при этом наш герой старается вообще не показываться из зарослей водорослей, ряски и кувшинок. По большому счёту, ему и там еды хватает, так зачем провоцировать хищников? Более того, чтобы добыть себе провизию, линь свободно разрыхляет илистое дно и закапывается в него. Всем удобно: линь кушает себе преспокойно, а хищники его даже не видят при этом.

5. Защитный барьер

Слизь для линя очень важна, можно сравнить её с практичным инструментом. Во-первых, она помогает ему напитывать тело кислородом там, где его недостаточно. Когда кислорода не хватает, организм линя заимствует из своей слизи тот объём, который ему необходим, чтобы выжить. А во-вторых, именно слизь делает жителя водоёмов практически неуязвимым к бактериям. Панцирь из слизи, как антибактериальная плёнка, не позволяющая патогенам просочиться во внутренний мир.

4. Слизкий доктор

Кстати, эту особенность линя эксплуатируют все, кому не лень. Было многократно замечено, что другие рыбы пользуются услугами линя, как доктора. Поранилась, к примеру, щука или успела в последний момент соскочить с крючка, и бегом несётся она к линю, чтобы потереться поврежденным участком о слизь. И не важно, что до этого линь был для неё лишь блюдом в меню — сейчас он нужен ей, как лекарь. И чего удивляться, что мелкий шарахается от щуки в сторону?

2. Темнота — друг линя

Наш герой страшно боится света! Никогда и ни за что не заставить линя выползти в ту часть водной глади, которая хорошо освещена. Он даже провиант себе добывает глубокой ночью, да на рассвете, когда лучи солнца едва касаются поверхности воды. Понятно, что таким образом он пытается сохранить слой слизи в целости и сохранности, ведь без неё он просто не справится с условиями существования. Но как-то слишком много параллелей с иномирянами, вроде вурдалаков, не находите?

1. Стайный юнец

Линь не так прост, как кажется! Все взрослые особи ведут сугубо одиночный образ жизни, им, видимо, уже надоело общение с себе подобными, осознали всю бренность бытия. Зачем делиться с кем-то едой, если можно выжить самому? А вот молодняк, наоборот, в силу своей неопытности, постоянно сбивается в стайки, что делает его гораздо более доступным для любителей скользкой рыбки. Линь, всё приходит с опытом!

Приключения натуралиста: ДзенMAX