Найти в Дзене
Войти
Горком36 | Воронеж
6136 подписчиков
Подписаться
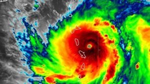
Просто «Мария»: в воронежском Гидрометцентре посмеялись над СМИ, пообещавшими тропический ураган в столице Черноземья
5 октября 2017
5 окт 2017
9
Подробности
Подробности
...
Читать далее
Подробности