Найти в Дзене
Региональная Заброшкофилия

Усадьба Пущино-на-Наре

Покинув одно Пущино, я отправился в другое, которое находится на окраине Серпухова, и где я ожидал увидеть прекрасные развалины усадьбы Пущино-на-Наре. К сожалению, прогуляться мне по ней не удалось, к счастью, причиной этого стали реставрационные работы. Усадебный комплекс был построен здесь в конце 18-го века Сергеем Вяземским и состоял из главного дома, четырех флигелей, двухэтажной хозяйственной постройкой, парадный двор с фонтанами, а также парком с прудами: Усадебный дом был выдержан в стиле русского палладианства: После революции усадьба была национализирована, одно время здесь была коммуна с молочной фермой, в затем, уже традиционный детский дом и общежитие. Со второй половины 20-века и до 2014 года усадьба была заброшена, хоть и считалась памятником. Середина 20-го века: Вот такой это место было в 1982 года: С годами разрушения становились все сильнее, и я думал, что застану ее вот такой или еще хуже: Как оказалось, что с 2014 года здесь кипит работа. Мне попалась информация,

Покинув одно Пущино, я отправился в другое, которое находится на окраине Серпухова, и где я ожидал увидеть прекрасные развалины усадьбы Пущино-на-Наре. К сожалению, прогуляться мне по ней не удалось, к счастью, причиной этого стали реставрационные работы.

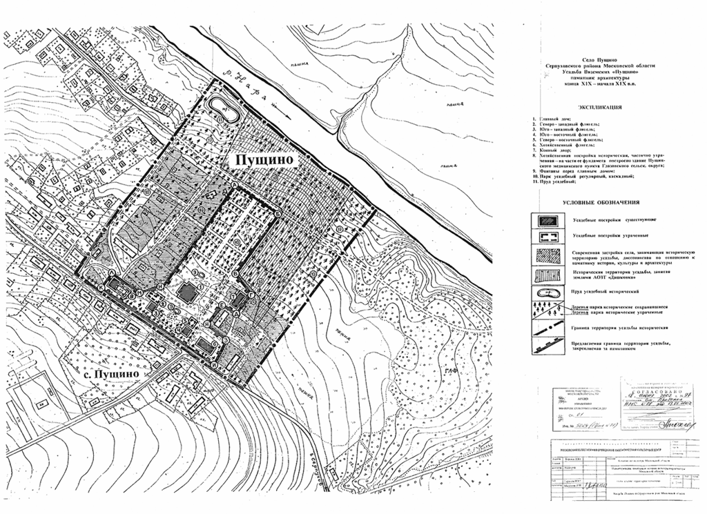
Усадебный комплекс был построен здесь в конце 18-го века Сергеем Вяземским и состоял из главного дома, четырех флигелей, двухэтажной хозяйственной постройкой, парадный двор с фонтанами, а также парком с прудами:

Фото: mok-center.ru
Фото: mok-center.ru

Усадебный дом был выдержан в стиле русского палладианства:

Фото: mk.ru
Фото: mk.ru

После революции усадьба была национализирована, одно время здесь была коммуна с молочной фермой, в затем, уже традиционный детский дом и общежитие. Со второй половины 20-века и до 2014 года усадьба была заброшена, хоть и считалась памятником.

Середина 20-го века:

Фото: kazned.ru
Фото: kazned.ru

Вот такой это место было в 1982 года:

Фото: beliaeva-t.livejournal.com
Фото: beliaeva-t.livejournal.com

Фото: beliaeva-t.livejournal.com
Фото: beliaeva-t.livejournal.com

С годами разрушения становились все сильнее, и я думал, что застану ее вот такой или еще хуже:

Фото: ru.wikipedia.org
Фото: ru.wikipedia.org

Как оказалось, что с 2014 года здесь кипит работа. Мне попалась информация, что реставрацией занимается компания миллиардера из Казани, который планирует открыть своеобразные гостиницы в трех заброшенных усадьбах Московской области:

-8

Возможно, что когда-то мне удастся насладиться внешнем видом восстановленного дома, а сейчас приходится рассматривать прекрасную лепнину на фасадах через забор и строительные леса:

-9

-10

-11

Остатки фонтана:

-12

-13

Это похоже на бетонную балясину:

-14

Хозяйственный флигель:

-15

-16

Со стороны дороги сразу и не узнаешь, что когда-то он был заброшен:

-17

Жалко, что рядом не оказалось рабочих, а то можно было бы напроситься на небольшую экскурсию и своими глазами увидеть остатки мозаики и прочие прекрасные элементы, которые еще дошли до наших дней. С другой стороны, усадьбы теперь не превратиться в руины окончательно.

Координаты усадьбы: 54.938815, 37.360815