Добавить в корзинуПозвонить
Найти в Дзене
ГосземляРФ

Название: Лесные насаждения, расположенные на территории: Республика Башкортостан, Учалинское лесничество, Ильтибановское участковое

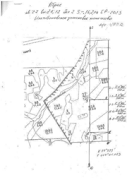
Название: Лесные насаждения, расположенные на территории: Республика Башкортостан, Учалинское лесничество, Ильтибановское участковое лесничество, квартал № 27, выделы 8, 12 делянка 2, на площади 16,2 га, объем вырубаемой древесины 1923 куб.м Канал: Госземля Республика Башкортостан Область: - Район: - Населенный пункт: - Локация: Смотреть на карте ВРИ: Заготовка древесины Кадастровый номер: 02:48:000000:9 Кадастровая стоимость: - Вид сделки: Продажа Площадь: 162000 м² Начальная цена: 1087971.00 руб. Дата завершения: 17.12.2025 Подробнее: ГИС ТОРГИ #госземля #земляотгосударства #земля #земельныйучасток #земельныеторги #торги #аукцион #продажаземли #продажа #республикабашкортостан

Название: Лесные насаждения, расположенные на территории: Республика Башкортостан, Учалинское лесничество, Ильтибановское участковое лесничество, квартал № 27, выделы 8, 12 делянка 2, на площади 16,2 га, объем вырубаемой древесины 1923 куб.м

Канал: Госземля Республика Башкортостан

Область: -

Район: -

Населенный пункт: -

Локация: Смотреть на карте

ВРИ: Заготовка древесины

Кадастровый номер: 02:48:000000:9

Кадастровая стоимость: -

Вид сделки: Продажа

Площадь: 162000 м²

Начальная цена: 1087971.00 руб.

Дата завершения: 17.12.2025

Подробнее: ГИС ТОРГИ

#госземля #земляотгосударства #земля #земельныйучасток #земельныеторги #торги #аукцион #продажаземли #продажа #республикабашкортостан