Найти в Дзене
Рыбалка Питер и ЛО

‼️23.05.25

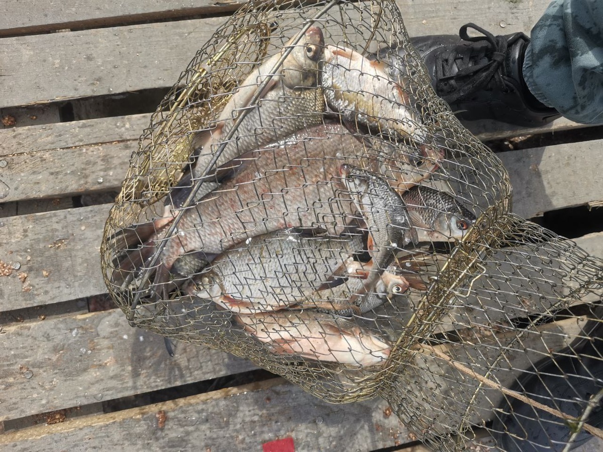
‼️23.05.25‼️ 🚩 Финский залив, Дудергофский канал Ловил с 8:00 до 11:30. Взято 3 леща, 2 кг плотвы. Отпущены 10 подлещиков. Донка, опарыш. 🧭 Координаты локации: 59.864280, 30.143782

‼️23.05.25‼️

🚩 Финский залив, Дудергофский канал

Ловил с 8:00 до 11:30. Взято 3 леща, 2 кг плотвы. Отпущены 10 подлещиков.

Донка, опарыш.

🧭 Координаты локации: 59.864280, 30.143782

-2
-3