Добавить в корзинуПозвонить
Найти в Дзене

Новостройка на Плеханова

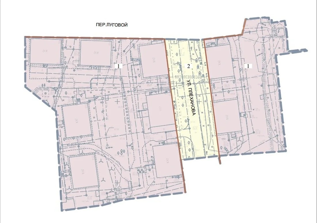
Скоро начнётся строительство нового жилого комплекса на улице Плеханова. Региональное министерство одобрило план, по которому будут строить дома на Кронштадтской, 59а, Плеханова, 52 и 57, а также в Луговом переулке. За дело взялась строительная группа «Развитие». Жилой комплекс будет состоять из двух частей, которые расположатся по обеим сторонам улицы Плеханова. В рамках проекта построят около 29 тысяч квадратов жилья. Будет не меньше 167 парковочных мест, а ещё подземная стоянка. В новом районе появится детский сад на 51 место. Будет не меньше 167 парковочных мест и подземная стоянка.

Скоро начнётся строительство нового жилого комплекса на улице Плеханова. Региональное министерство одобрило план, по которому будут строить дома на Кронштадтской, 59а, Плеханова, 52 и 57, а также в Луговом переулке. За дело взялась строительная группа «Развитие».

Жилой комплекс будет состоять из двух частей, которые расположатся по обеим сторонам улицы Плеханова. В рамках проекта построят около 29 тысяч квадратов жилья. Будет не меньше 167 парковочных мест, а ещё подземная стоянка. В новом районе появится детский сад на 51 место. Будет не меньше 167 парковочных мест и подземная стоянка.