Добавить в корзинуПозвонить
Найти в Дзене

На подготовку планировки для развязки у "Лахта Центра" отвели год

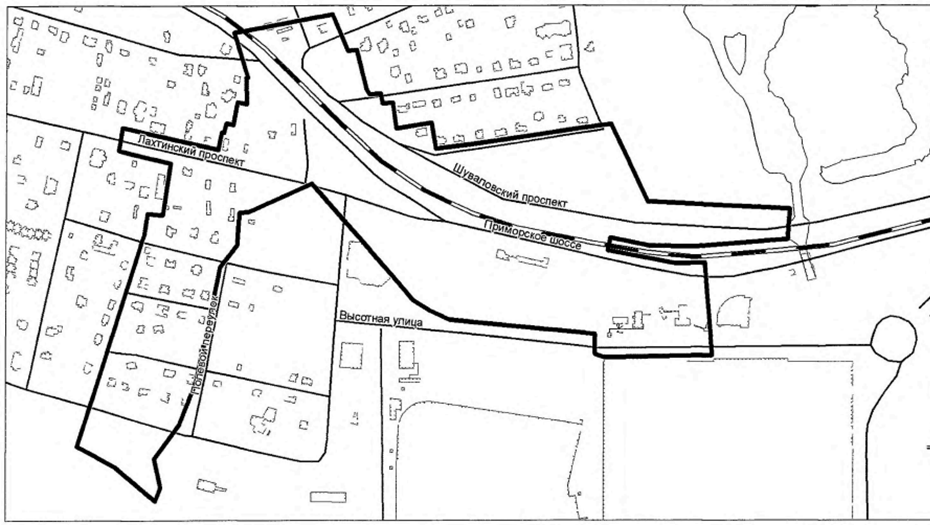
Комитет по градостроительству и архитектуре (КГА) выдал задание на подготовку проектов планировки и межевания территории для строительства транспортной развязки у "Лахта Центра". Как следует из документа, развязка пройдёт через ж.-д. пути Сестрорецкого направления и Приморское шоссе, к ней будут подключены Шуваловский и Лахтинский проспекты, а также Высотная улица. Задание выдано АО "Синергия", которое занимается проектированием новых башен "Лахта Центра". Компания разработает проекты планировки и межевания за собственный счёт. Работы необходимо выполнить до 19 февраля 2026 года. В задании также прописаны объекты, которые планируется возвести на месте строительства. Помимо развязки это тоннель под железной дорогой и Приморским шоссе, трамвайная линия на Новой улице, участок оранжевой ветки метро со станцией "Лахта". Развязка станет частью будущей трассы М-32, которая соединит территорию "Лахта Центра" с планируемой трассой М-49. Строительство М-32 началось прошлой осенью, когда дорожни
   Автор фото: Комитет по градостроительству и архитектуре
Автор фото: Комитет по градостроительству и архитектуре

Комитет по градостроительству и архитектуре (КГА) выдал задание на подготовку проектов планировки и межевания территории для строительства транспортной развязки у "Лахта Центра".

Как следует из документа, развязка пройдёт через ж.-д. пути Сестрорецкого направления и Приморское шоссе, к ней будут подключены Шуваловский и Лахтинский проспекты, а также Высотная улица.

Задание выдано АО "Синергия", которое занимается проектированием новых башен "Лахта Центра". Компания разработает проекты планировки и межевания за собственный счёт. Работы необходимо выполнить до 19 февраля 2026 года.

В задании также прописаны объекты, которые планируется возвести на месте строительства. Помимо развязки это тоннель под железной дорогой и Приморским шоссе, трамвайная линия на Новой улице, участок оранжевой ветки метро со станцией "Лахта".

Развязка станет частью будущей трассы М-32, которая соединит территорию "Лахта Центра" с планируемой трассой М-49. Строительство М-32 началось прошлой осенью, когда дорожники приступили к устройству буронабивных свай будущего путепровода над железной дорогой.

За 3 года стоимость трассы выросла на треть, с 18,4 млрд до 23,8 млрд рублей.

Читать статью на сайте