Добавить в корзинуПозвонить
Найти в Дзене

Новый План Илона Маска По Расширению Компании Tesla!

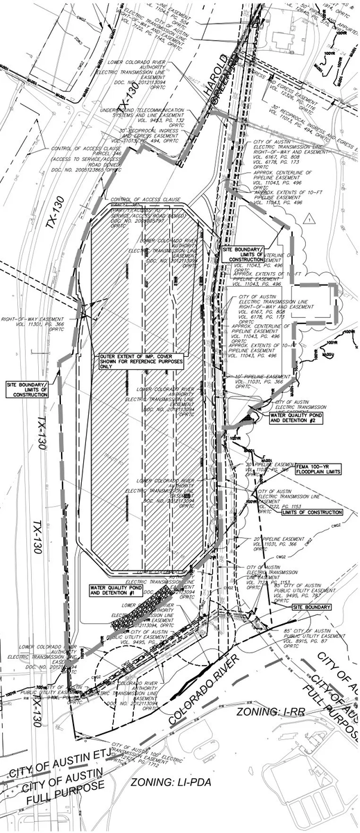
Были раскрыты планы Теслы по строительству Гигафабрики в Техасе - показав массивные здания с интересной формой. После того как в июле Tesla окончательно утвердила площадку рядом с Остином для своей следующей Гигафабрики, автопроизводитель начал быстро двигаться к строительству завода. Подрядчик быстро захватил участок и начал подготовку почвы, чтобы расчистить огромное пространство для начала строительства на участке площадью 2000 акров. Однако мы не знали точно, как будет выглядеть завод без планов, и большая часть работ на сегодняшний день состояла в основном из подготовки грунта. Теперь были раскрыты планы управления Tesla для Giga Texas – впервые показав форму завода: Похоже, что он имеет очень похожую форму, как и первоначальный план Теслы для Гигафабрики Невада: Однако Тесла так и не завершил строительство Гигафабрики в Неваде, и в настоящее время только примерно 30% этой структуры находится в рабочем состоянии. План Гигафабрики Техас также, кажется, показывает большой переулок,

Были раскрыты планы Теслы по строительству Гигафабрики в Техасе - показав массивные здания с интересной формой.

После того как в июле Tesla окончательно утвердила площадку рядом с Остином для своей следующей Гигафабрики, автопроизводитель начал быстро двигаться к строительству завода.

Подрядчик быстро захватил участок и начал подготовку почвы, чтобы расчистить огромное пространство для начала строительства на участке площадью 2000 акров.
Однако мы не знали точно, как будет выглядеть завод без планов, и большая часть работ на сегодняшний день состояла в основном из подготовки грунта.

Теперь были раскрыты планы управления Tesla для Giga Texasвпервые показав форму завода:

-2

Похоже, что он имеет очень похожую форму, как и первоначальный план Теслы для Гигафабрики Невада:

-3

Однако Тесла так и не завершил строительство Гигафабрики в Неваде, и в настоящее время только примерно 30% этой структуры находится в рабочем состоянии. План Гигафабрики Техас также, кажется, показывает большой переулок, разделяющий структуру на две части.

Вот как выглядит нынешняя строительная площадка в Остине (через Джо Тегтмейера):

-4

Последняя беспилотная эстакада сайта показывает, что Тесла уже выровнял землю почти для всей запланированной структуры. Тесла теперь использует Геопирическую систему, чтобы укрепить почву для основания завода.

Как мы недавно сообщали, Tesla планирует подготовить здание к концу года с первым “существенным завершением”, что означает, что оно может начать производство в мае 2021 года.

Тесла ранее подтвердил, что они планируют довольно обширный список автомобилей, которые будут производиться на Gigafactory Texas. CyberTruck будет главным из них.

-5

В какой-то момент генеральный директор Tesla Илон Маск даже называл завод “Cybertruck Gigafactory”, поскольку именно там Tesla будет производить электрический пикап. Автопроизводитель также планирует производить электромобили Model Y и Model 3 на месте, чтобы удовлетворить спрос со стороны восточного побережья.

Кроме того, Tesla недавно подтвердила, что ее электрический полуприцеп Tesla Semi будет производиться на заводе Gigafactory Texas.